Villa Via Domenico Vallero 8, San Maurizio Canavese
€ 440.000
San Maurizio Canavese la Martinetto Immobiliare propone in vendita bellissima villa in classe A2
Nel prestigioso complesso denominato VILLA DORIA a 20 Km. dal centro di Torino, in zona residenziale comodissima a tutti i servizi, vicinissima alla stazione ferroviaria ora metropolitana che la collega direttamente alle principali stazioni di Torino, il centro, e non solo,
La villa si presentai in più che ottime condizioni, perfetta per soddisfare ogni esigenza e stile di vita, ideale per chi ricerca eleganza, spazio e un ambiente moderno, un ottimo investimento per chi desidera confort ed un ottimo efficientamento energetico classe energetica A
Spazi ampi e luminosi per un totale di metri di cica 235 totali, caratterizzano limmobile che vanta uninvidiabile esposizione Est Ovest Sud per questo tutti gli ambienti godono di unottima illuminazione dal mattino alla sera.
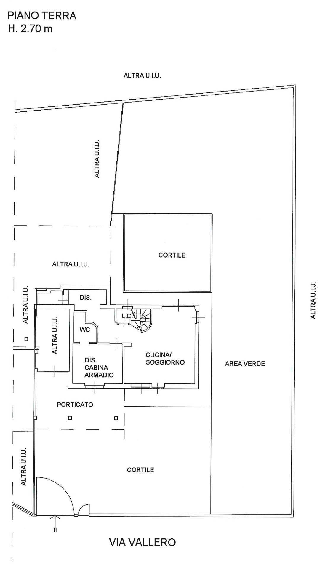
La parte abitativa di circa 195 mq, è composta al piano terreno da una grande cucina molto luminosa caratterizzata da unampia ed elegante vetrata scorrevole con vista sul giardino, e sulla terrazza di 57 mq con tenda da sole motorizzata, sempre al piano terreno locale tecnico, bagno, camera/studio, ed una comodissima grande zona armadi.
La scala la collega alla zona notte posta al piano primo, composta dalla camera da letto padronale di 25 mq con due cabine armadi e terrazzino, lelegante bagno con vasca idromassaggio e doccia, una camera da letto di 13 mq anchessa con terrazzino e secondo bagno uso lavanderia.
Il piano sottotetto è collegato con scala retrattile, recentemente è stata eseguita nel sottotetto un ulteriore coibentazione e finitura. La mansarda è recuperabile ed ha la possibilità di essere collegata da una normale scala a vista.
Lestremo assolutamente curato e ben disposto comprende il box auto di mq 14 con antistante pergola adatta per il ricovero di una seconda auto mq 14, la tettoia che copre tutta la parte dellentrata è ideale per momenti di relax allaperto, il grande cortile di circa mq105, recentemente ricostruito, vanta un funzionale carport di mq 30, una struttura robusta ed elegante per il ricovero di altre due auto, volendo anche un furgone o camper
A parte larea verde di circa 300 mq, che si sviluppa su tre lati, la particolarità di questo giardino è data sia dalla esclusiva esposizione sia dalla studiata piantumazione; infatti, la villa posta nel complesso residenziale più esclusivo della zona gode di una particolare privacy nonostante la vicinanza con le altre ville.
Sul lato est una pratica e funzionale casetta di legno atta per il ricovero attrezzi.
Rilevante la classe energetica A2, che offre la possibilità di richiedere un MUTUO GREEN, un finanziamento erogato a tassi agevolati per l'acquisto di immobili ad alta efficienza energetica, per tanto tassi agevolati, costi ridotti con sconti sulle spese di istruttoria, benefici ambientali, senza dimenticare minori consumi energetici e quindi bollette più basse.
Caratteristiche:
· Impianto fotovoltaico da 6Kwp con 20 Kw/h di accumulo 2021
· Pompa di calore con caldaia ibrida Vaillant con controllo remoto
· Wall box per ricarica auto elettrica
· Infissi triplo vetro con veneziana incorporata TUTTI basculanti
· Doppio isolamento del tetto
· Zanzariere su tutti gli infissi
· Impianto di domotica Gewiss per controllo singolarmente di tutte le luci interne ed esterne ed i due termostati con controllo remoto
· Sensori per monossido di carbonio e gas con allarme integrato e via App
· Impianto di condizionamento
· Vasca idromassaggio
· Oscurante finestra giardino motorizzato
· Tenda finestra giardino motorizzata
· Impianto di allarme a filo con controllo remoto perimetrale e volumetrico
· Impianto di videosorveglianza con controllo remoto
· Pozzo con pompa a immersione
· Cancello elettrico
· Tettoia con struttura metallica per due posti auto
· Due fontanelle in giardino
· Scala retrattile per...
Nel prestigioso complesso denominato VILLA DORIA a 20 Km. dal centro di Torino, in zona residenziale comodissima a tutti i servizi, vicinissima alla stazione ferroviaria ora metropolitana che la collega direttamente alle principali stazioni di Torino, il centro, e non solo,
La villa si presentai in più che ottime condizioni, perfetta per soddisfare ogni esigenza e stile di vita, ideale per chi ricerca eleganza, spazio e un ambiente moderno, un ottimo investimento per chi desidera confort ed un ottimo efficientamento energetico classe energetica A
Spazi ampi e luminosi per un totale di metri di cica 235 totali, caratterizzano limmobile che vanta uninvidiabile esposizione Est Ovest Sud per questo tutti gli ambienti godono di unottima illuminazione dal mattino alla sera.
La parte abitativa di circa 195 mq, è composta al piano terreno da una grande cucina molto luminosa caratterizzata da unampia ed elegante vetrata scorrevole con vista sul giardino, e sulla terrazza di 57 mq con tenda da sole motorizzata, sempre al piano terreno locale tecnico, bagno, camera/studio, ed una comodissima grande zona armadi.
La scala la collega alla zona notte posta al piano primo, composta dalla camera da letto padronale di 25 mq con due cabine armadi e terrazzino, lelegante bagno con vasca idromassaggio e doccia, una camera da letto di 13 mq anchessa con terrazzino e secondo bagno uso lavanderia.
Il piano sottotetto è collegato con scala retrattile, recentemente è stata eseguita nel sottotetto un ulteriore coibentazione e finitura. La mansarda è recuperabile ed ha la possibilità di essere collegata da una normale scala a vista.
Lestremo assolutamente curato e ben disposto comprende il box auto di mq 14 con antistante pergola adatta per il ricovero di una seconda auto mq 14, la tettoia che copre tutta la parte dellentrata è ideale per momenti di relax allaperto, il grande cortile di circa mq105, recentemente ricostruito, vanta un funzionale carport di mq 30, una struttura robusta ed elegante per il ricovero di altre due auto, volendo anche un furgone o camper
A parte larea verde di circa 300 mq, che si sviluppa su tre lati, la particolarità di questo giardino è data sia dalla esclusiva esposizione sia dalla studiata piantumazione; infatti, la villa posta nel complesso residenziale più esclusivo della zona gode di una particolare privacy nonostante la vicinanza con le altre ville.
Sul lato est una pratica e funzionale casetta di legno atta per il ricovero attrezzi.
Rilevante la classe energetica A2, che offre la possibilità di richiedere un MUTUO GREEN, un finanziamento erogato a tassi agevolati per l'acquisto di immobili ad alta efficienza energetica, per tanto tassi agevolati, costi ridotti con sconti sulle spese di istruttoria, benefici ambientali, senza dimenticare minori consumi energetici e quindi bollette più basse.
Caratteristiche:
· Impianto fotovoltaico da 6Kwp con 20 Kw/h di accumulo 2021
· Pompa di calore con caldaia ibrida Vaillant con controllo remoto
· Wall box per ricarica auto elettrica
· Infissi triplo vetro con veneziana incorporata TUTTI basculanti
· Doppio isolamento del tetto
· Zanzariere su tutti gli infissi
· Impianto di domotica Gewiss per controllo singolarmente di tutte le luci interne ed esterne ed i due termostati con controllo remoto
· Sensori per monossido di carbonio e gas con allarme integrato e via App
· Impianto di condizionamento
· Vasca idromassaggio
· Oscurante finestra giardino motorizzato
· Tenda finestra giardino motorizzata
· Impianto di allarme a filo con controllo remoto perimetrale e volumetrico
· Impianto di videosorveglianza con controllo remoto
· Pozzo con pompa a immersione
· Cancello elettrico
· Tettoia con struttura metallica per due posti auto
· Due fontanelle in giardino
· Scala retrattile per...
Main data
| Reference | 14376 |
| Ad date | 04/10/2025 |
| Contract | Sale |
| Typology | Villa |
| Surface | 283 m2 |
| Locals | more than 5 (3 bedrooms, 4 other), 3 bathrooms, kitchen habitable |
| Plan | Entire building, 2 totals |
| Occupied | Free |
| Garage | Single |
| Number of parking spaces | 3 |
| Furniture | Partial |
Costs
| Price | 440.000 € |
| Price per m2 | 1.555 €/m2 |
Energy efficiency
| Status | Excellent |
| Heating | Autonomous |
| Energy rating | A2 |
Floor plans
Address and map
Via Domenico Vallero
8, San Maurizio Canavese
Ad without map,
try asking the advertiser for the position
try asking the advertiser for the position
Mortgage calculation
Selling price:
Advance
20,00
Mortgage
80,00
Rate: -+
Payment: 1.258 per month
The results are an indicative estimate based on the data entered and do not constitute a financial offer.
Advertiser

Martinetto Immobiliare srl
Via Torino, 64, San Francesco al Campo
Show Phone
Show Mobile
Call
CONTACT

