Appartamento Via della Marina snc, Monte Argentario
€ 550.000Appartamento a Porto Ercole, Monte Argentario
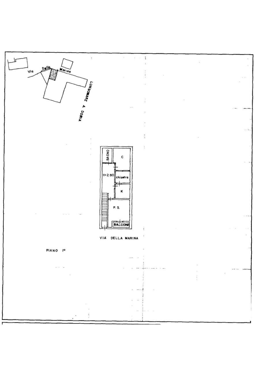
Porto Ercole – Appartamento con ingresso indipendente sul porto con terrazza panoramica esclusiva. Affacciata direttamente sul porto di Porto Ercole, nel punto più vivo e affascinante del paese, proponiamo un rarissimo immobile con ingresso indipendente, un luogo dove il mare diventa parte integrante della quotidianità. L'immobile è caratterizzato da ambienti raccolti ma estremamente suggestivi: un living intimo, una cucina abitabile, due camere da letto e un comodo bagno, con una distribuzione versatile che si presta a diverse interpretazioni abitative. Il balcone posto al primo piano offre una vista continua sul paese, ma è salendo alla terrazza panoramica posta al piano superiore, di proprietà esclusiva, che l'immobile svela il suo vero incanto. Uno spazio ampio e riservato, perfetto per creare una zona pranzo ed un’area relax, dove lasciarsi avvolgere dal profumo del mare, ascoltarne il suono, osservare il paese che si anima con il Forte Spagnolo che domina il porto. Un luogo unico dove svegliarsi con la luce dell’alba e con il mare come prima veduta della giornata. La posizione centrale permettere di raggiungere in pochi istanti i vari servizi, senza bisogno di usufruire dell'auto. Una soluzione irripetibile, ideale sia come residenza esclusiva e sia come investimento di prestigio, per chi desidera vivere Porto Ercole da una prospettiva privilegiata, nel cuore autentico del paese e a contatto diretto con il mare.
Dati principali
| Riferimento | CG176 |
| Data annuncio | 16/01/2026 |
| Contratto | Vendita |
| Tipologia | Appartamento |
| Superficie | 90 m2 |
| Locali | 4 (2 camere da letto, 2 altro), 1 bagno |
| Piano | 2 totali |
| Numero di terrazzi | 1 |
| Numero di balconi | 1 |
Costi
| Prezzo | 550.000 € |
| Prezzo al m2 | 6.111 €/m2 |
Efficienza energetica
| Classe energetica | In fase di calcolo |
Planimetrie
Indirizzo e mappa
Via della Marina snc, Monte Argentario
Calcolo mutuo
Prezzo di vendita:
Anticipo
20,00
Mutuo
80,00
Tasso: -+
Rata: 1.573 al mese
I risultati sono una stima indicativa basata sui dati inseriti e non costituiscono un’offerta finanziaria.
Inserzionista
Chiama
CONTATTA

