Magazzino Via Degli Olmi, Roma
€ 129.000Capannone / Fondo - Magazzino a Alessandrino, Roma
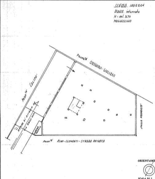
LOCALE C/2 DI AMPIA METRATURA – ZONA ALESSANDRINO – INVESTIMENTO A REDDITO In zona Alessandrino, precisamente in Via degli Olmi, proponiamo in vendita esclusiva un ampio locale magazzino C/2 di circa 387 mq al piano seminterrato, dotato di rampa di accesso carrabile privata.L’immobile si presenta in buone condizioni generali e si caratterizza per i soffitti alti 4,5 metri, che garantiscono un’eccellente versatilità d’uso. Attualmente locato con regolare contratto fino al 2028, con una rendita mensile di € 1.250, rappresenta un’opportunità ideale per investitori alla ricerca di un bene a reddito con inquilino affidabile. Caratteristiche principali: Superficie: 387 mq ca. Categoria catastale: C/2 (magazzino/deposito) Piano: Seminterrato Accesso: Indipendente con rampa carrabile esclusiva Altezza interna: 4,5 metri Contratto di locazione: Attivo fino al 2028 Redditività annua: € 15.000 Classe energetica: G – EPgl 65 kWh/m² anno Ottimo investimento – già a reddito Contattaci per ulteriori informazioni o per fissare una visita!
Dati principali
| Riferimento | 3075 |
| Data annuncio | 01/10/2024 |
| Contratto | Vendita |
| Tipologia | Magazzino |
| Superficie | 387 m2 |
| Locali | 1 (1 altro) |
| Piano | 1 totali |
Costi
| Prezzo | 129.000 € |
| Prezzo al m2 | 333 €/m2 |
Efficienza energetica
| Classe energetica | G |
Planimetrie
Indirizzo e mappa
Via Degli Olmi, Roma
Calcolo mutuo
Prezzo di vendita:
Anticipo
20,00
Mutuo
80,00
Tasso: -+
Rata: 369 al mese
I risultati sono una stima indicativa basata sui dati inseriti e non costituiscono un’offerta finanziaria.
Inserzionista

Gruppo Aureli Ag. PINEROLO
Via Pinerolo 4A, Roma
Mostra Telefono
Chiama
CONTATTA

