Trilocale Via Caduti della Libertà 1, Verrès
€ 169.000€ 169.000 Appartamento zona centro storico
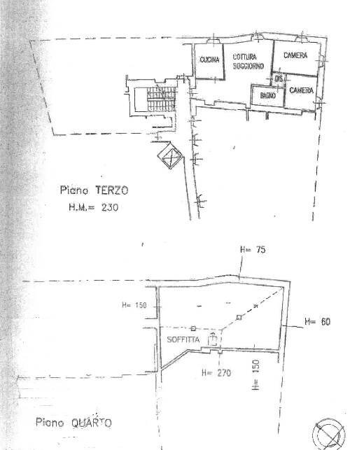
Descrizione A Verrès in palazzina storica, ristrutturata con restauro conservativo, si propone appartamento al terzo piano servito da ascensore, con una superficie commerciale di 140 mq.
L'alloggio con ottime rifiniture è composto da ingresso, cucina abitabile, ampio soggiorno, disimpegno notte, 2 camera da letto, bagno con vasca, zona sottotetto al grezzo alta 2,70 nel culmine e si presenta molto luminosa grazie agli ampi velux. Completa la proprietà una cantina al piano seminterrato.
L'appartamento è dotato di porta blindata e videocitofono.
Zona centro storico comodo a tutti i servizi.
Classe Energetica E - EPgl,nren 139,59
Potrai richiedere la prima consulenza gratuita per il mutuo al ns. Consulente del Credito Auxilia Finance S.p.a. Sig, Massimiliano Carta.
L'alloggio con ottime rifiniture è composto da ingresso, cucina abitabile, ampio soggiorno, disimpegno notte, 2 camera da letto, bagno con vasca, zona sottotetto al grezzo alta 2,70 nel culmine e si presenta molto luminosa grazie agli ampi velux. Completa la proprietà una cantina al piano seminterrato.
L'appartamento è dotato di porta blindata e videocitofono.
Zona centro storico comodo a tutti i servizi.
Classe Energetica E - EPgl,nren 139,59
Potrai richiedere la prima consulenza gratuita per il mutuo al ns. Consulente del Credito Auxilia Finance S.p.a. Sig, Massimiliano Carta.
Dati principali
| Riferimento | 10549RA39398 |
| Data annuncio | 07/03/2024 |
| Contratto | Vendita |
| Tipologia | Appartamento |
| Superficie | 92 m2 |
| Locali | 3 (2 camere da letto, 1 altro), 1 bagno |
| Piano | 3 |
Costi
| Prezzo | 169.000 € |
| Prezzo al m2 | 1.837 €/m2 |
Efficienza energetica
| Anno costruzione | 1919 |
| Riscaldamento | Centralizzato |
| Classe energetica | Immobile esente da certificazione energetica |
Planimetrie
Indirizzo e mappa
Via Caduti della Libertà 1, Verrès
Calcolo mutuo
Prezzo di vendita:
Anticipo
20,00
Mutuo
80,00
Tasso: -+
Rata: 483 al mese
I risultati sono una stima indicativa basata sui dati inseriti e non costituiscono un’offerta finanziaria.
Inserzionista

Immobiliare Neige di Silvana Briscese
Via Mario Colliard 34, Hone
Mostra Telefono
Mostra Cellulare
Chiama
CONTATTA

