Villa via Vittorio Alfieri, 19, Cerro Maggiore
€ 570.000STRAORDINARIO APPARTAMENTO AUTONOMO SU DUE LIVELLI
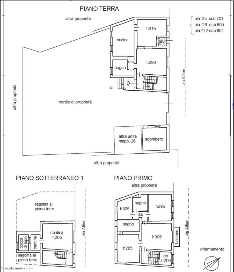
Situato in Via Vittorio Alfieri a Cerro Maggiore, questa Villa in vendita si trova in una zona residenziale tranquilla e ben collegata. Accatastato come appartamento A/2, in realtà è una vera e propria Villa indipendente su due piani in un edificio cielo terra con giardino edificabile. **** ZERO SPESE CONDOMINIALI **** La posizione offre un facile accesso ai servizi locali e alle principali vie di comunicazione, rendendolo ideale per chi cerca un equilibrio tra tranquillità e comodità urbana. L'appartamento è parte di un edificio di soli due piani, garantendo un ambiente intimo e riservato. La villa si sviluppa su due piani, composta da: Piano Terra : - Ingresso - Soggiorno - Ampio Salotto - Ampia Cucina abitabile - Ampio Bagno - Un grande giardino privato Primo piano : - Quattro ampie camere da letto - Due bagni, uno dei quali in camera patronale - Un balcone L'appartamento include anche una grande cantina, al piano interrato, per ulteriore spazio di archiviazione. L'immobile è in ottimo stato e parzialmente arredato, pronto per essere abitato. È dotato di una serie di comfort moderni, tra cui una piscina privata, climatizzatore autonomo con impianto freddo/caldo e riscaldamento autonomo a radiatori alimentato a metano. Gli infissi esterni in doppio vetro/PVC garantiscono un buon isolamento termico e acustico. La sicurezza è assicurata da una porta blindata e un cancello elettrico, mentre un videocitofono offre ulteriore tranquillità. Completano la proprietà un box auto e un posto auto al coperto, che offrono comode soluzioni di parcheggio. Con due lati liberi paralleli, ingresso doppio parallelo, l'appartamento gode di una ottima esposizione alla luce naturale. Questa proprietà rappresenta un'opportunità unica per chi cerca una casa molto spaziosa e ben attrezzata in una posizione strategica. In sintesi una straordinaria villa ad appartamento indipendente su due livelli con grande giardino, box e tante camere da personalizzare. OTTIMO INVESTIMENTO PER UNA FAMIGLIA CHE VUOLE TUTTE LE COMODITA’ ASSOLUTE CON ZERO SPESE CONDOMINIALI. N.B. IL TERRENO DEL GIARDINO E’ EDIFICABILE. Punti di forza dell'immobile: - Villa in grande Appartamento indipendente su due livelli - Bellissimo Giardino privato su terreno edificabile - Ottima posizione, tranquilla e immersa nel verde L'asilo per bambini più vicino è SCUOLA DELL'INFANZIA PARITARIA MARIA E ANDREA BERNOCCHI (440 m). Inoltre, i servizi scolastici comprendono gli istituti: SCUOLA PRIMARIA PARITARIA MARIA BERNOCCHI RIBOLDI (310 m), VIA CARDUCCI e altre 3 scuole nel raggio di 400 m. È presente nelle vicinanze dell'immobile il servizio sanitario POLIAMBULATORIO TRE ESSE (160 m). Stai pensando di vendere o affittare casa? Con RockAgent puoi vendere o affittare il tuo immobile assicurandoti un servizio eccellente, garantito da agenti immobiliari selezionati supportati da un team tecnico, marketing e legale di altissimo livello. Visita il sito RockAgent.it e ottieni una valutazione gratuita del tuo immobile.
Main data
| Reference | 166486 - 22/04/2026 |
| Ad date | 04/03/2026 |
| Contract | Sale |
| Typology | Villa |
| Surface | 350 m2 |
| Locals | more than 5 (4 bedrooms, 2 other), 3 bathrooms, kitchen habitable |
| Plan | 2 totals |
| Construction type | Average |
| Number of balconies | 1 |
| Garage | Single |
| Number of parking spaces | 1 |
| Furniture | Partial |
Costs
| Price | 570.000 € |
| Price per m2 | 1.629 €/m2 |
Energy efficiency
| Year built | 1990 |
| Status | Excellent |
| Heating | Autonomous |
| Energy rating | E |
| Energy Performance Index (IPE) | 175 kWh/m2 year |
Floor plans
Address and map
via Vittorio Alfieri, 19, Cerro Maggiore
Mortgage calculation
Selling price:
Advance
20,00
Mortgage
80,00
Rate: -+
Payment: 1.630 per month
The results are an indicative estimate based on the data entered and do not constitute a financial offer.
Advertiser

RockAgent
Via di Santa Costanza 21, Roma
Show Phone
Call
CONTACT

