Commercial Premises Como 2, Cesano Maderno
€ 62.000
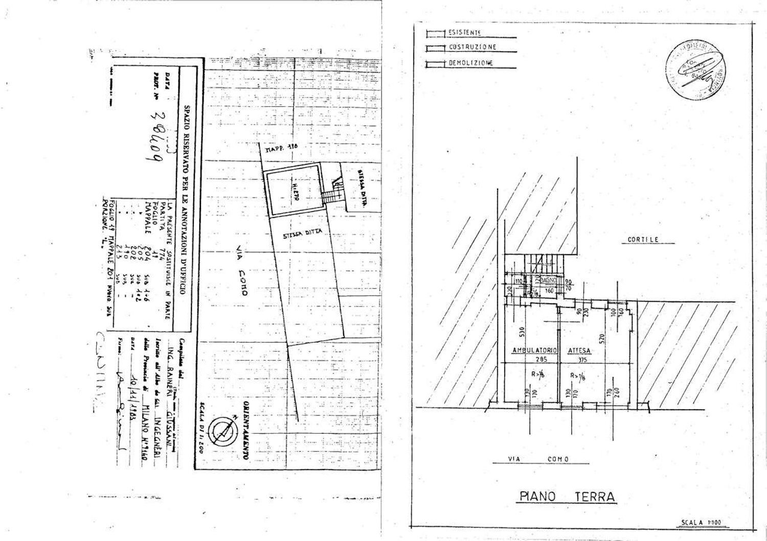
Cesano Maderno CENTRO - In zona servita e di forte passaggio, con ottima disponibilità di parcheggi pubblici, proponiamo immobile a destinazione commerciale fronte strada con cantina al piano interrato. Si compone di: ingresso fronte strada, ampio locale di 25 mq. , secondo locale di 18 mq. e bagno. Al piano interrato, con accesso dall'interno, troviamo la cantina di circa 30 mq. L'immobile è dotato di una vetrina e di secondo ingresso dall'interno del cortile. Tetto e facciata rifatti di recente. Nessuna spesa condominiale. Termo autonomo. Due passi dalla stazione ferroviaria. Se avete un'immobile da vendere o da affittare contattateci, Vi forniremo una VALUTAZIONE GRATUITA e vi illustreremo come potremmo aiutarVi, attraverso i nostri servizi, a vendere o affittare il Vostro immobile al miglior prezzo e nel minor tempo possibile. Rimani aggiornato sulle nostre offerte cliccando "MI PIACE" alla nostra pagina Facebook: Studio Ca'Bella - Seguici su Instagram: studiocabella - Da 40 anni camminiamo insieme nel mercato immobiliare per esaudire ogni sogno, ogni ideale di casa, promuovendo e offrendo servizi di consulenza ed intermediazione immobiliare per ogni esigenza: abitativa, commerciale, industriale. Studio Ca'Bella s. a. s. - Via Ronzoni, 10 - 20811 - Cesano Maderno (MB) - Tel. 0362/508494.
Main data
| Reference | 01-Ufficio Studio Ambulatorio |
| Ad date | 24/04/2026 |
| Contract | Sale |
| Typology | Commercial Premises |
| Surface | 52 m2 |
| Locals | 2 (2 other), 1 bathroom |
| Plan | Earth |
| Occupied | Free |
| Furniture | Absent |
Costs
| Price | 62.000 € |
| Price per m2 | 1.192 €/m2 |
Energy efficiency
| Status | Good |
| Heating | Autonomous |
| Energy rating | G |
| Energy Performance Index (IPE) | 400 kWh/m2 year |
Floor plans
Address and map
Como
2, Cesano Maderno
Ad without map,
try asking the advertiser for the position
try asking the advertiser for the position
Mortgage calculation
Selling price:
Advance
20,00
Mortgage
80,00
Rate: -+
Payment: 177 per month
The results are an indicative estimate based on the data entered and do not constitute a financial offer.
Advertiser

Studio Ca Bella srl
via giuseppe ronzoni 10, Cesano Maderno
Show Phone
Show Mobile
Call
CONTACT

