Three-room apartment Via Santarcangiolese, Santarcangelo di Romagna
€ 245.000Trilocale in vendita
In zona San Michele, inserito in un contesto residenziale tranquillo e ben curato, proponiamo appartamento trilocale al piano terra, situato in palazzina del 2001 recentemente ristrutturata.
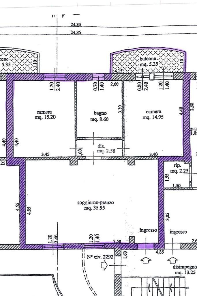
L’ingresso dell’abitazione si apre su un'ampia zona giorno di circa 36 Mq, ambiente luminoso, servito da finestra e porta finestra che garantiscono un’ottima illuminazione naturale e affacci distaccati dalla strada principale, assicurando privacy e tranquillità.
Un comodo disimpegno accompagna alla zona notte, composta da due camere da letto matrimoniali rispettivamente di circa 15 Mq, di cui una con porta finestra e l’altra dotata di balcone di 5.35 mq, oltre ad un comodo bagno finestrato di circa 9 Mq adibito anche a lavanderia.
Al piano interrato completa la proprietà un ampio garage, con basculante motorizzata di 36 Mq, accessibile sia tramite ascensore sia tramite scale condominiali.
L’immobile è stato completamente ristrutturato nel 2022 e presenta infissi in PVC con triplo vetro con isolamento termo acustico ed anti sfondamento, cappotto termico di 14 cm, impianto fotovoltaico con batteria di accumulo, caldaia a condensazione, riscaldamento autonomo a radiatori, portone blindato e citofono. Nel garage, inoltre è presente anche una colonnina per ricaricare l'auto elettrica.
Soluzione ideale per chi cerca una casa moderna, efficiente e pronta da abitare, in una posizione comoda ai servizi ma inserita in un contesto riservato e ordinato.
Per qualsiasi informazione potete contattarci o mandare un messaggio WhatsApp al nostro numero di telefono 05411416682 oppure passare a trovarci in ufficio, ci troviamo in via Ugo Braschi, 57, a Santarcangelo di Romagna pronti ad accogliervi!
L’ingresso dell’abitazione si apre su un'ampia zona giorno di circa 36 Mq, ambiente luminoso, servito da finestra e porta finestra che garantiscono un’ottima illuminazione naturale e affacci distaccati dalla strada principale, assicurando privacy e tranquillità.
Un comodo disimpegno accompagna alla zona notte, composta da due camere da letto matrimoniali rispettivamente di circa 15 Mq, di cui una con porta finestra e l’altra dotata di balcone di 5.35 mq, oltre ad un comodo bagno finestrato di circa 9 Mq adibito anche a lavanderia.
Al piano interrato completa la proprietà un ampio garage, con basculante motorizzata di 36 Mq, accessibile sia tramite ascensore sia tramite scale condominiali.
L’immobile è stato completamente ristrutturato nel 2022 e presenta infissi in PVC con triplo vetro con isolamento termo acustico ed anti sfondamento, cappotto termico di 14 cm, impianto fotovoltaico con batteria di accumulo, caldaia a condensazione, riscaldamento autonomo a radiatori, portone blindato e citofono. Nel garage, inoltre è presente anche una colonnina per ricaricare l'auto elettrica.
Soluzione ideale per chi cerca una casa moderna, efficiente e pronta da abitare, in una posizione comoda ai servizi ma inserita in un contesto riservato e ordinato.
Per qualsiasi informazione potete contattarci o mandare un messaggio WhatsApp al nostro numero di telefono 05411416682 oppure passare a trovarci in ufficio, ci troviamo in via Ugo Braschi, 57, a Santarcangelo di Romagna pronti ad accogliervi!
Main data
| Reference | 61174099 |
| Ad date | 10/02/2026 |
| Contract | Sale |
| Typology | Apartment |
| Surface | 110 m2 |
| Locals | 3 (3 other), 1 bathroom |
| Plan | 2 totals |
Costs
| Price | 245.000 € |
| Price per m2 | 2.227 €/m2 |
| Condominium fees | €58,00/month |
Energy efficiency
| Year built | 2001 |
| Heating | Autonomous |
| Heating Power Type | Methane |
| Energy rating | Property exempt from energy certification |
Floor plans
Address and map
Via Santarcangiolese, Santarcangelo di Romagna
Mortgage calculation
Selling price:
Advance
20,00
Mortgage
80,00
Rate: -+
Payment: 701 per month
The results are an indicative estimate based on the data entered and do not constitute a financial offer.
Advertiser
Call
CONTACT

