Semi-detached house Via IV novembre, Trofarello
€ 329.000Casa semindipendente in vendita
Nelle immediate vicinanze della piazza di Valle Sauglio, proponiamo in vendita un affascinante cascinale ristrutturato nei primi anni novanta, che unisce il calore della tradizione alla comodità degli spazi moderni.
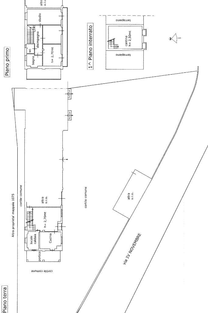
La proprietà si sviluppa su due livelli abitativi: al piano terra troviamo un accogliente zona giorno composta da un’ampia sala impreziosita dal camino a legna, una cucina abitabile con accesso diretto al portico esterno, dove poter fare pranzi e cene all'area aperta e un pratico bagno, recentemente ristrutturato, servito da ampio box doccia. Al piano terreno troviamo un'ampia autorimessa ad oggi utilizzata come locale taverna.
Attraverso una comoda scala interna accediamo al piano superiore dove si distribuisce la zona notte composta da due camere matrimoniali rifinite in parquet, due camere singole, un grande bagno con doccia e vasca e un secondo bagno di servizio.
Al piano interrato è ubicata un’ampia cantina.
A completamento della proprietà un’ampia tettoia di circa 220 metriquadrati disposta su due livelli.
Al piano terreno troviamo l’ampio magazzino utilizzabile anche come autorimessa, al piano superiore un ampio spazio da poter recuperare ai fini abitativi.
All’esterno, un ampio giardino privato circonda la casa su tre lati, regalando privacy e spazi verdi ideali per momenti di relax all’aperto.
L’immobile è dotato di riscaldamento autonomo con caldaia a condensazione e impianto di condizionamento sia nella zona giorno che nella zona notte, garantendo comfort in ogni stagione.
La soluzione è dotata di un moderno sistema di allarme e di inferriate in tutte le finestre per garantire la sicurezza di tutti gli ambienti.
La proprietà si sviluppa su due livelli abitativi: al piano terra troviamo un accogliente zona giorno composta da un’ampia sala impreziosita dal camino a legna, una cucina abitabile con accesso diretto al portico esterno, dove poter fare pranzi e cene all'area aperta e un pratico bagno, recentemente ristrutturato, servito da ampio box doccia. Al piano terreno troviamo un'ampia autorimessa ad oggi utilizzata come locale taverna.
Attraverso una comoda scala interna accediamo al piano superiore dove si distribuisce la zona notte composta da due camere matrimoniali rifinite in parquet, due camere singole, un grande bagno con doccia e vasca e un secondo bagno di servizio.
Al piano interrato è ubicata un’ampia cantina.
A completamento della proprietà un’ampia tettoia di circa 220 metriquadrati disposta su due livelli.
Al piano terreno troviamo l’ampio magazzino utilizzabile anche come autorimessa, al piano superiore un ampio spazio da poter recuperare ai fini abitativi.
All’esterno, un ampio giardino privato circonda la casa su tre lati, regalando privacy e spazi verdi ideali per momenti di relax all’aperto.
L’immobile è dotato di riscaldamento autonomo con caldaia a condensazione e impianto di condizionamento sia nella zona giorno che nella zona notte, garantendo comfort in ogni stagione.
La soluzione è dotata di un moderno sistema di allarme e di inferriate in tutte le finestre per garantire la sicurezza di tutti gli ambienti.
Main data
| Reference | 61148322 |
| Ad date | 01/12/2025 |
| Contract | Sale |
| Typology | Semi-detached house |
| Surface | 300 m2 |
| Locals | more than 5 (9 other), 2 bathrooms |
| Plan | 1 totals |
Costs
| Price | 329.000 € |
| Price per m2 | 1.097 €/m2 |
Energy efficiency
| Year built | 1929 |
| Heating | Autonomous |
| Heating Power Type | Methane |
| Energy rating | D |
| Energy performance index (EP GL, NREN ) | 199.03 kWh/m3 year |
Floor plans
Video
Address and map
Via IV novembre, Trofarello
Mortgage calculation
Selling price:
Advance
20,00
Mortgage
80,00
Rate: -+
Payment: 941 per month
The results are an indicative estimate based on the data entered and do not constitute a financial offer.
Advertiser
Call
CONTACT

