One-room apartment Via Vittorio Veneto, Siracusa
€ 87.500
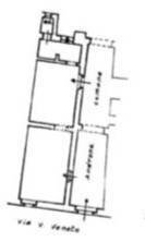
Appartamento o locale commerciale in vendita in Via Vittorio Veneto, Ortigia Un immobile versatile nel cuore del centro storico di Siracusa Nel cuore di Ortigia, a pochi passi dal mare e dai principali luoghi dinteresse, proponiamo in vendita un immobile di 60 mq situato in Via Vittorio Veneto, una delle strade più caratteristiche del centro storico di Siracusa. La posizione strategica lo rende ideale sia come appartamento sia come locale commerciale, perfetto per chi desidera vivere o lavorare in uno dei contesti più affascinanti della città. Doppio accesso e ambienti funzionali Limmobile dispone di un doppio ingresso, uno dal cortile condominiale e uno dal basso commerciale adiacente, offrendo grande flessibilità duso. Attualmente accatastato come abitazione, può essere facilmente adattato a diverse esigenze grazie alla sua struttura semplice e razionale. Allinterno, un unico ambiente è reso armonioso da un elegante arco in muratura che divide visivamente lo spazio in due vani collegati, creando unatmosfera accogliente e caratteristica. È presente inoltre una finestra con affaccio sul cortile interno e due portoni indipendenti che garantiscono luminosità e praticità. Diverse possibilità di utilizzo La versatilità dellimmobile lo rende ideale per molteplici destinazioni: Piccolo appartamento o pied-à-terre nel cuore di Ortigia; Laboratorio artigianale o studio professionale; Deposito o magazzino di supporto ad attività commerciali vicine. Da restaurare e personalizzare Il locale è da restaurare, ma offre ampie possibilità di personalizzazione e valorizzazione, mantenendo il fascino autentico dei bassi siracusani. Gli interventi di ristrutturazione possono esaltare gli elementi originali, adattandolo alle esigenze di chi cerca un immobile dal grande potenziale in una delle zone più richieste di Siracusa. Informazioni aggiuntive Al momento non sono disponibili foto più dettagliate degli interni, poiché il locale è utilizzato come magazzino. Tuttavia, sono possibili visite su appuntamento per chi desidera scoprirne di persona le potenzialità.
Main data
| Reference | TTR101-1788 |
| Ad date | 17/11/2025 |
| Contract | Sale |
| Typology | Apartment |
| Surface | 60 m2 |
| Locals | 1 (1 bedroom), 1 bathroom, kitchen not present |
| Plan | Earth, 1 totals |
| Construction type | Popular |
| Occupied | Free |
| Garage | Absent |
| Furniture | Absent |
Costs
| Price | 87.500 € |
| Price per m2 | 1.458 €/m2 |
Energy efficiency
| Status | To be restored |
| Heating | Absent |
| Heating Power Type | Other |
| Energy rating | G |
| Energy Performance Index (IPE) | - |
Floor plans
Address and map
Via Vittorio Veneto, Siracusa
Ad without map,
try asking the advertiser for the position
try asking the advertiser for the position
Mortgage calculation
Selling price:
Advance
20,00
Mortgage
80,00
Rate: -+
Payment: 250 per month
The results are an indicative estimate based on the data entered and do not constitute a financial offer.
Advertiser
Think Tank Realtor
Via Antioco 10, Siracusa
Show Phone
Show Mobile
Call
CONTACT

