Building land via Georgia, Roma
€ 650.000Terreno edificabile a Roma
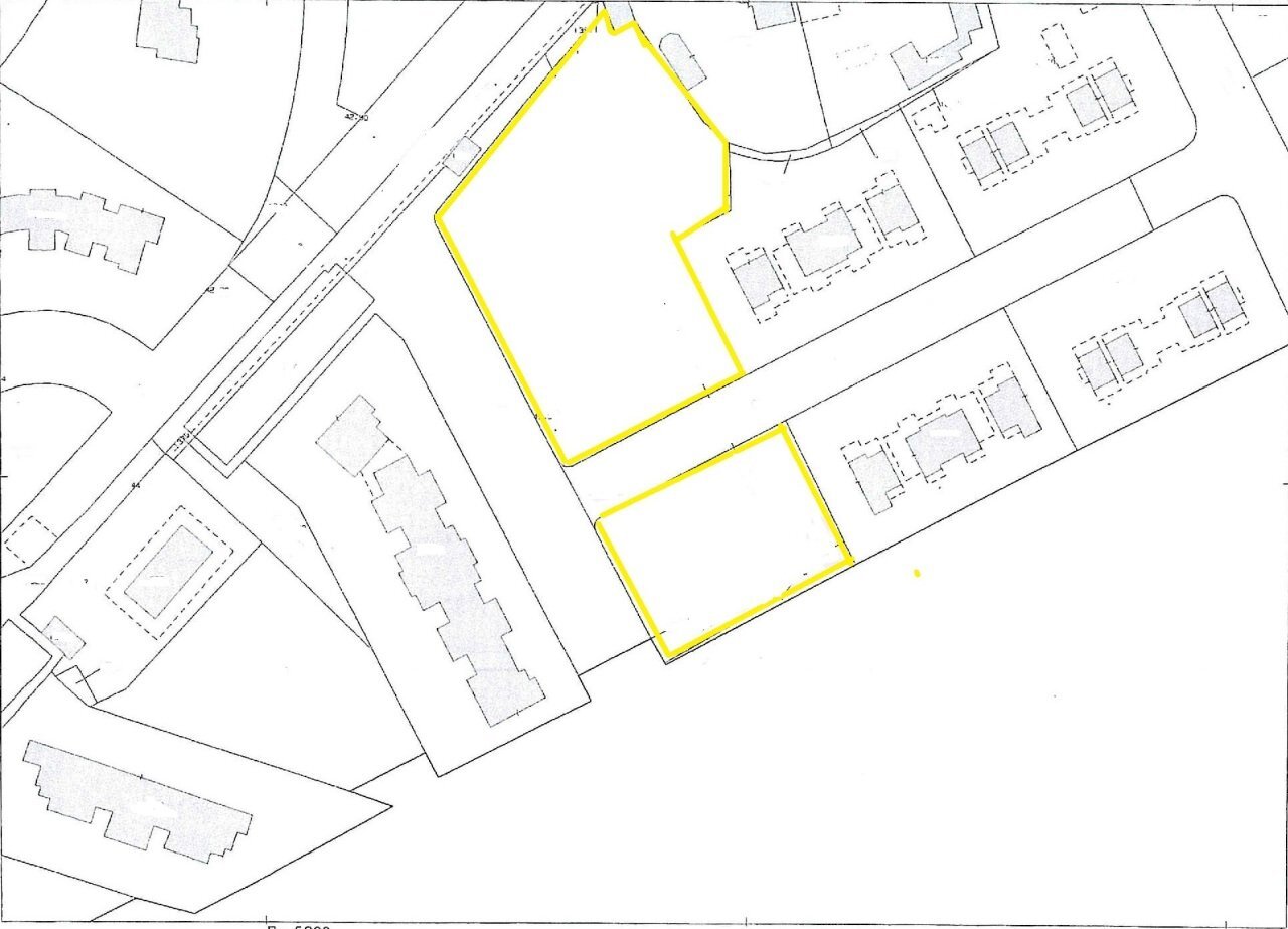
Acilia Sud - Casal Bernocchi, e precisamente altezza Via Georgia e Via Ucraina si propongono in vendita due lotti di terreni edificabili ricompresi nei Comparti Edificatori individuati dalle sigle Z10 e Z11 del piano di lottizzazione oggetto della Convenzione Urbanistica tra il comune di Roma ed il Consorzio “Verde Eur”. La destinazione d’uso prevista dal P.d.L. per i summenzionati Comparti è quella residenziale, la tipologia è quella di case con giardino di altezza non superiore a ml.7,50 ; la cubatura edificabile fuori terra ammonta a mc. 1.860,00 di cui mc 1.240,00 previsti sulla superficie di mq.3.477 del Comparto Z10 e mc. 620,00 sulla superficie di mq 1.525,00 del Comparto Z11. La superficie fondiaria di proprietà, al netto delle aree oggetto di cessione all’Amministrazione comunale per viabilità, parcheggi e servizi pubblici, come già citato sopra, risulta così articolata: Comparto Z10: mq. 3.477,00 ca. Comparto Z11: mq. 1.525,00 ca. Disponibili da subito. I dati, i documenti e le immagini inserite in questo annuncio sono fornite al solo scopo illustrativo e non costituiscono elemento contrattuale. NON SAI QUANTO VALE LA TUA CASA? SCOPRILO SUBITO! https://www.agentpricing.com/c.durante Chiama ora per fissare il tuo appuntamento ed avere maggiori informazioni in merito. 06.86207700
Main data
| Reference | Terreno_edificabile_Berno |
| Ad date | 17/10/2024 |
| Contract | Sale |
| Typology | Building land |
| Surface | 5002 m2 |
| Plan | 1 totals |
Costs
| Price | 650.000 € |
| Price per m2 | 130 €/m2 |
Energy efficiency
| Energy rating | Property exempt from energy certification |
Floor plans
Address and map
via Georgia, Roma
Mortgage calculation
Selling price:
Advance
20,00
Mortgage
80,00
Rate: -+
Payment: 1.859 per month
The results are an indicative estimate based on the data entered and do not constitute a financial offer.
Advertiser
Call
CONTACT


