Terraced Villa Corso IV novembre, Cafasse
€ 215.000Villa a schiera in vendita
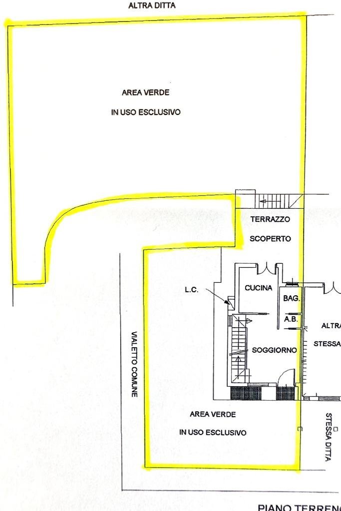
CAFASSE:VILLETTA LIBERA SU TRE LATI CON GIARDINO PRIVATO . La casa è composta da piano terra: ingresso living in soggiorno, cucina abitabile, bagno , scala e accesso al terrazzo ed al giardino privato ; al piano primo: disimpegno, camera, cameretta , bagno e balconi. Al piano interrato : ampia cantina e box auto. Vi è anche una botola per accedere al sottotetto grezzo ( ma sfruttabile) . Il riscaldamento è autonomo con caldaia a idropellets per il riscaldamento , invece caldaia a metano per acqua calda .Gli infissi sono in legno con doppi vetri. Inoltre vi è un posto auto condominiale nel cortile recintato.
Main data
| Reference | 61107590 |
| Ad date | 08/09/2025 |
| Contract | Sale |
| Typology | Terraced Villa |
| Surface | 150 m2 |
| Locals | 4 (2 bedrooms, 2 other), 2 bathrooms |
| Plan | 2 totals |
| Number of parking spaces | 1 |
Costs
| Price | 215.000 € |
| Price per m2 | 1.433 €/m2 |
Energy efficiency
| Year built | 2002 |
| Heating | Autonomous |
| Heating Power Type | Other |
| Energy rating | D |
| Energy Performance Index (IPE) | - |
Floor plans
Address and map
Corso IV novembre, Cafasse
Mortgage calculation
Selling price:
Advance
20,00
Mortgage
80,00
Rate: -+
Payment: 615 per month
The results are an indicative estimate based on the data entered and do not constitute a financial offer.
Advertiser
Call
CONTACT

