Three-room apartment via Sant'Anna, 101, Roburent
€ 55.000San Giacomo, vendesi trilocale riscaldamento autonomo
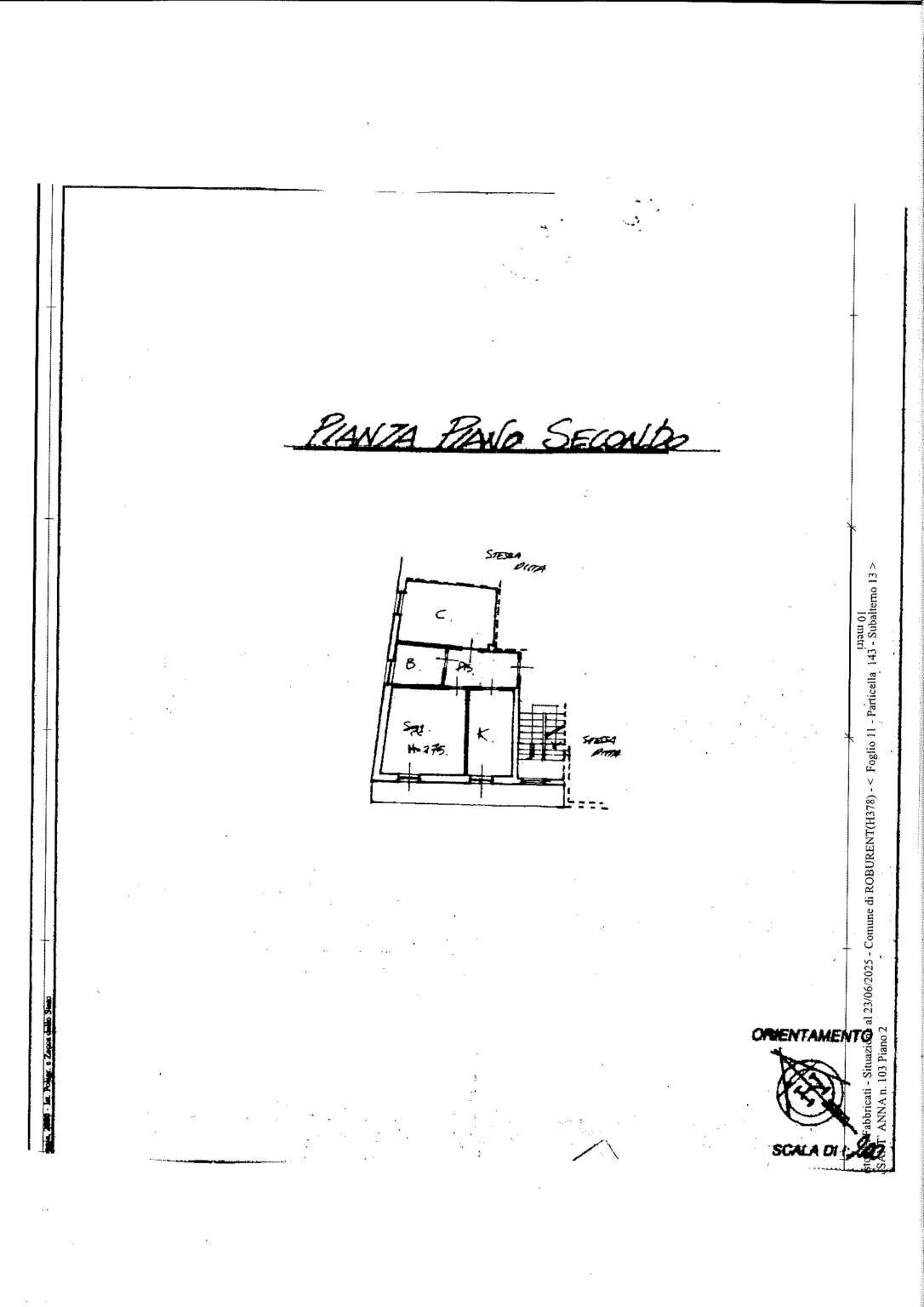
SAN GIACOMO DI ROBURENT, vendesi in Centro, comodissimo ai servizi, un trilocale al secondo piano, completamente ristrutturato con riscaldamento autonomo, Categoria energetica D, composto da disimpegno, soggiorno con cucina componibile e divano letto, camera matrimoniale, cameretta con 2 letti, bagno finestrato con doccia. Balcone. Basse spese condominiali. Ameno 6 posti letto. Serramenti doppi, nuovi. Richiesta € 55.000,00 Volete visitarlo e verificarne i pregi ? Contatteci. L'Agenzia Unika è un'Agenzia immobiliare indipendente presente sul territorio dal 2012. Siamo a San Giacomo, vicino alla Chiesa e all'ATL.
Main data
| Reference | Lem55 |
| Ad date | 01/07/2025 |
| Contract | Sale |
| Typology | Apartment |
| Surface | 63 m2 |
| Locals | 3 (2 bedrooms, 1 other), 1 bathroom, kitchen kitchenette |
| Plan | 2 from 3 totals |
| Construction type | Average |
| Number of balconies | 1 |
| Furniture | Complete |
Costs
| Price | 55.000 € |
| Price per m2 | 873 €/m2 |
| Condominium fees | €41,00/month |
Energy efficiency
| Year built | 1976 |
| Status | Excellent |
| Heating | Autonomous |
| Energy rating | D |
| Energy Performance Index (IPE) | 98.77 kWh/m2 year |
Floor plans
Address and map
via Sant'Anna, 101, Roburent
Mortgage calculation
Selling price:
Advance
20,00
Mortgage
80,00
Rate: -+
Payment: 157 per month
The results are an indicative estimate based on the data entered and do not constitute a financial offer.
Advertiser

Agenzia Unika
Viale Pianfei 8, Roburent
Show Phone
Call
CONTACT

