Villa via aldo moro 8, Anzio
€ 590.000
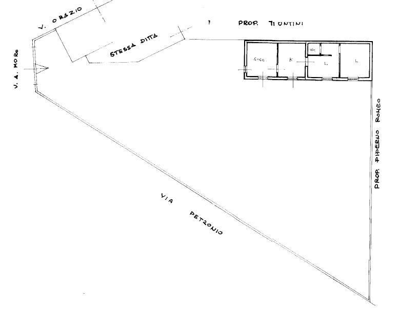
Unica nel cuore di Anzio: residenza storica indipendente con giardino privato e grotta romana PIAZZALE ORAZIO - ANZIO CENTRO DESCRIZIONE SINTETICA: residenza storica indipendente su un unico livello di circa 120 mq da ristrutturare con giardino privato di circa 800 mq con possibilità di parcheggio interno per più auto. Costruzione pre-bellica con dettagli depoca originali quali una grotta romana allinterno del giardino. DESCRIZIONE DETTAGLIATA: Nel pieno centro storico di Anzio, a pochi passi dal mare e dalla piazza principale, proponiamo in vendita una residenza depoca dal fascino raro, completamente indipendente, con caratteristiche introvabili in zona. Limmobile si sviluppa su un unico livello di circa 120 mq, ed è circondato da un ampio giardino privato di circa 800 mq, una vera oasi di tranquillità e privacy nel cuore della città. Allinterno della proprietà è possibile parcheggiare più autovetture, un vantaggio impagabile in unarea dove parcheggio e spazi esterni scarseggiano. Ma è il carattere della dimora a renderla davvero unica: edificata prima degli eventi bellici, conserva elementi di grande fascino storico, compresi oggetti depoca che ne raccontano lanima. A rendere ancora più suggestivo il contesto, una grotta di epoca romana incastonata nel giardino, testimonianza tangibile del passato millenario della città. Limmobile necessita di una ristrutturazione completa, da realizzare con una visione di alto profilo, coerente con il prestigio e lunicità della soluzione proposta. Grazie alla posizione strategica, allindipendenza e al fascino della struttura, la proprietà si presta perfettamente anche alla realizzazione di un elegante locale per eventi o ricevimenti, un progetto esclusivo e di grande attrattiva al centro di Anzio. Una residenza che non ha eguali nella zona: totalmente indipendente, immersa nella storia e nella bellezza, in una delle località più affascinanti del litorale laziale. Le informazioni e le immagini presenti nel presente annuncio sono puramente indicative e non costituiscono elemento contrattuale.
Main data
| Reference | PIAZZALE ORAZIO |
| Ad date | 28/06/2025 |
| Contract | Sale |
| Typology | Villa |
| Surface | 120 m2 |
| Locals | 3 (2 bedrooms, 1 other), 1 bathroom, kitchen habitable |
| Plan | Earth |
| Occupied | Free |
| Garage | Absent |
| Number of parking spaces | 4 |
Costs
| Price | 590.000 € |
| Price per m2 | 4.917 €/m2 |
Energy efficiency
| Status | To be restored |
| Heating | Absent |
| Heating Power Type | Other |
| Energy rating | G |
| Energy Performance Index (IPE) | - |
Floor plans
Video
Address and map
via aldo moro
8, Anzio
Ad without map,
try asking the advertiser for the position
try asking the advertiser for the position
Mortgage calculation
Selling price:
Advance
20,00
Mortgage
80,00
Rate: -+
Payment: 1.687 per month
The results are an indicative estimate based on the data entered and do not constitute a financial offer.
Advertiser

Casa Anzio srl
PIAZZA DELLA PACE, Anzio
Show Phone
Call
CONTACT

