
To see more images,
try asking the advertiser
try asking the advertiser
Building land Ciserano
€ 2.300.000
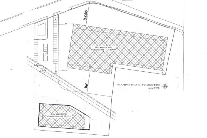
-- CISERANO Area edificabile a destinazione industriale, commerciale e socio assistenziale di mq 23.000 situata in posizione di grande comodità logistica, a pochi passi dal futuro casello di Verdello della bretella Autostradale. L'area ha potenzialità edificatoria per mq 9.300 con altezza massima di metri 12, è dotata di 2 ingressi e 2 uscite ed è concessa la costruzione di edificio industriale / commerciale o anche di struttura Rsa. E' possibile la vendita dell'area edificabile per 100 / mq da lottizzare oppure per 126 / mq già lottizzata. Scomputo oneri per 500.000,00, opere già eseguite 330.000,00. E' inoltre possibile la vendita della struttura finita per 800 / mq. E' inoltre possibile l'acquisto dell'area frazionata in 2 lotti: Lotto 1 _ Mq 14.000 con superficie costruibile pari a mq 7.300 ed altezza interna di 12 metri. Lotto 2 _ Mq 6.200 con superficie costruibile pari a mq 4.200 ed altezza interna di 12 metri. CLASSE ENERGETICA: Immobile non soggetto all'obbligo di certificazione energetica Vai all'annuncio: https://www.studio-valle.com/it/ciserano-3/ STUDIO IMMOBILIARE VALLE Flaminia S.r.l. Real estate and investments 24121 Bergamo - Italy V.le Vitt. Emanuele II n. 65 tel +39 035 231588 fax +39 035 232714 www.studio-valle.com [email protected] Facebook: StudioImmobiliareValle Twitter: ValleRealEstate Skype: Valle-Real-Estate
Main data
| Reference | CISERANO23000B |
| Ad date | 22/05/2025 |
| Contract | Sale |
| Typology | Building land |
| Surface | 23000 m2 |
| Occupied | Free |
Costs
| Price | 2.300.000 € |
| Price per m2 | 100 €/m2 |
Energy efficiency
| Heating Power Type | Other |
| Energy rating | Property exempt from energy certification |
Floor plans
Address and map
Ciserano
Ad without map,
try asking the advertiser for the position
try asking the advertiser for the position
Mortgage calculation
Selling price:
Advance
20,00
Mortgage
80,00
Rate: -+
Payment: 6.578 per month
The results are an indicative estimate based on the data entered and do not constitute a financial offer.
Advertiser
Call
CONTACT
