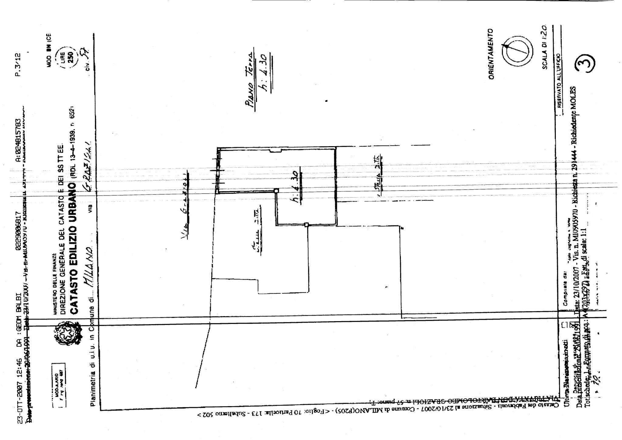
Shop via Don Bartolomeo Grazioli, 57, Milano
€ 200.000AFFORI/ VIA GRAZIOLI VENDESI AMPIO MAGAZZINO
AFFORI/DERGANO/VIA GRAZIOLI. VENDESI AMPIO MAGAZZINO DI CIRCA 400 mq. open-space. In piccola palazzina di due piani con ascensore e montacarichi entrambi collegati anche ai piani seminterrati -1 e -2, disponiamo di ampio magazzino di circa 400mq posto al piano -2 accessibile da comodo e grande montacarichi e una comoda scala interna, oltre alla presenza dell'ascensore. Nella stessa palazzina disponiamo : Al piano Terra Negozio di c.a 70 mq collegato tramite scala interna Al piano -1 magazzino di 136 mq oltre servizi. Al piano -2 magazzino di 142 mq. Possibilità di 6 posti auto ad € 13.000,00 cad. Libero Subito !!! Per Info Immogroup Srl 327.35.86.180
Main data
| Reference | Fabio Via Grazioli |
| Ad date | 07/02/2024 |
| Contract | Sale |
| Typology | Shop |
| Surface | 394 m2 |
| Plan | 1 totals |
| Real estate use | Commercial |
Costs
| Price | 200.000 € |
| Price per m2 | 508 €/m2 |
| Condominium fees | €150,00/month |
Energy efficiency
| Heating | Autonomous |
| Energy rating | G |
| Energy Performance Index (IPE) | 65 kWh/m2 year |
Floor plans
Address and map
via Don Bartolomeo Grazioli, 57, Milano
Mortgage calculation
Selling price:
Advance
20,00
Mortgage
80,00
Rate: -+
Payment: 572 per month
The results are an indicative estimate based on the data entered and do not constitute a financial offer.
Advertiser

Immo Group srl
Via Roma 101, Torino
Show Phone
Call
CONTACT

