Independent house Via villa, Giaveno
€ 179.000Casa indipendente in vendita
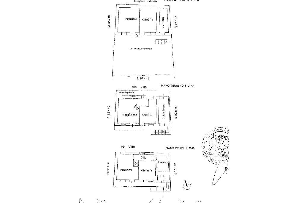
A pochi passi dal centro di Giaveno, in Via Villa, casa indipendente libera su quattro lati con giardino privato di circa 1200 mq. L'immobile si sviluppa su tre livelli; al piano terreno ingresso in unico ambiente composto da soggiorno con cucina di circa 55 mq esposto tutto a sud, primo bagno e balcone. Al piano primo camera matrimoniale con cabina armadi, seconda camera matrimoniale, e bagno con annessa lavanderia. Dalla zona giorno si ha l'accesso diretto al primo giardino. Al piano seminterrato una taverna di 50 mq divisa in due ambienti, cantina e vano caldaia. Completa la soluzione un secondo terreno adiacente all' immobile, una tettoia di 35 mq ed un magazzino di 40 mq. Sono stati cambiati gli infissi Pvc in triplo vetro a Gennaio 2026. Riscaldamento con caldaia a condensazione e stufe.
Le immagini e la descrizione si intendono di massima e non costituiscono elemento contrattuale.
Le immagini e la descrizione si intendono di massima e non costituiscono elemento contrattuale.
Main data
| Reference | 60858810 |
| Ad date | 07/02/2024 |
| Contract | Sale |
| Typology | Independent house |
| Surface | 200 m2 |
| Locals | more than 5 (6 other), 2 bathrooms |
| Plan | 2 from 2 totals |
Costs
| Price | 179.000 € |
| Price per m2 | 895 €/m2 |
Energy efficiency
| Year built | 1967 |
| Heating | Autonomous |
| Heating Power Type | Methane |
| Energy rating | G |
| Energy performance index (EP GL, REN ) | 9.33 kWh/m3 year |
| Energy performance index (EP GL, NREN ) | 393.41 kWh/m3 year |
Floor plans
Video
Address and map
Via villa, Giaveno
Mortgage calculation
Selling price:
Advance
20,00
Mortgage
80,00
Rate: -+
Payment: 512 per month
The results are an indicative estimate based on the data entered and do not constitute a financial offer.
Advertiser
Call
CONTACT

