Shop Cervia

€ 1.200 per month
45 m2 1 bathrooms
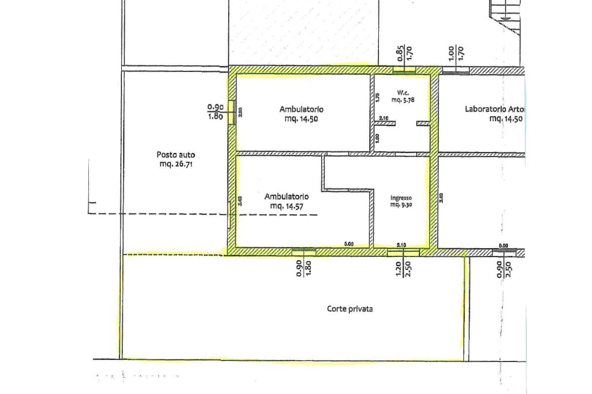
Affittiamo a Milano Marittima, in posizione di forte passaggio, negozio al piano terra di circa 45 mq.Maggiori informazioni in ufficio.RIF. 257
Main data
Reference BRB257
Ad date 22/07/2023
Contract Rent
Typology Shop
Surface 45 m2
Locals 1 bathroom
Costs
Price 1.200 € per month
Energy efficiency
Energy rating Property exempt from energy certification
Floor plans
Barbieri Immobiliare
V.le Volturno, 27, Cervia
 Show Phone +39 0544 971245
View other advertisements for

shops for rent in Cervia


City of Cervia

:
Rent shops Cervia
Rent commercial Cervia
Estate agents Cervia

province of Ravenna

:
Shops for rent province Ravenna
Rent commercial province Ravenna
Address and map
Cervia