Rustico Via Vallicella 4, Vimercate
€ 50.000
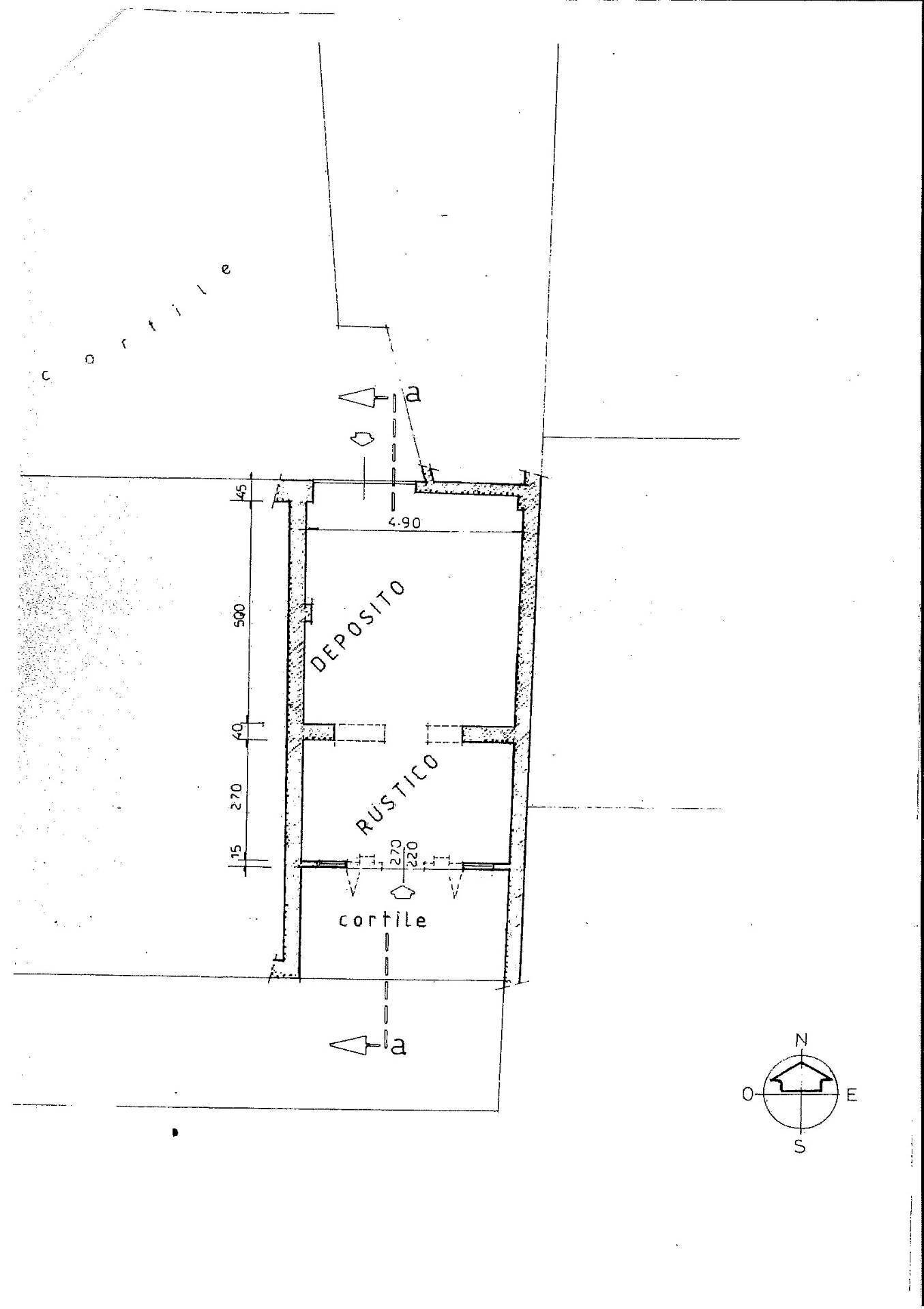
Vimercate, nel centro storico di Oreno, in contesto di corte senza spese condominiali proponiamo rustico disposto su due livelli composto da un locale unico a piano terreno con doppio ingresso della superficie commerciale di mq. 45,00 con un'area esterna in proprietà di mq. 10,50, oltre ad un soppalco a vista realizzato con struttura in legno della superficie di mq. 25,00. Attualmente la destinazione d'uso è deposito/magazzino però esiste la possibilità di sopralzo e di cambio di destinazione in abitazione, compatibilmente con le vigenti disposizioni urbanistiche.
L'immobile, nell'anno 1996 è stato oggetto di lavori di manutenzione straordinaria, con rilascio di regolare autorizzazione edilizia da parte del Comune, consistenti nel sopralzo del tetto e rifacimento del manto di copertura.
Immobile non soggetto all'obbligo di redazione dell'attestato di prestazione energetica.
L'immobile, nell'anno 1996 è stato oggetto di lavori di manutenzione straordinaria, con rilascio di regolare autorizzazione edilizia da parte del Comune, consistenti nel sopralzo del tetto e rifacimento del manto di copertura.
Immobile non soggetto all'obbligo di redazione dell'attestato di prestazione energetica.
Dati principali
| Riferimento | 2487 |
| Data annuncio | 01/04/2026 |
| Contratto | Vendita |
| Tipologia | Rustico |
| Superficie | 72 m2 |
| Locali | 2 (2 altro) |
| Piano | Su più livelli, 2 totali |
| Occupato | Libero |
| Box auto | Assente |
| Arredamento | Assente |
Caratteristiche
Costi
| Prezzo | 50.000 € |
| Prezzo al m2 | 694 €/m2 |
Efficienza energetica
| Stato | Da ristrutturare |
| Riscaldamento | Assente |
| Tipo Impianto Di Riscaldamento | a stufa |
| Tipo Alimentazione Riscaldamento | Pellet |
| Classe energetica | Immobile esente da certificazione energetica |
Planimetrie
Video
Indirizzo e mappa
Via Vallicella
4, Vimercate
Annuncio senza mappa,
prova a chiedere la posizione all'inserzionista
prova a chiedere la posizione all'inserzionista
Calcolo mutuo
Prezzo di vendita:
Anticipo
20,00
Mutuo
80,00
Tasso: -+
Rata: 143 al mese
I risultati sono una stima indicativa basata sui dati inseriti e non costituiscono un’offerta finanziaria.
Inserzionista

Puntocasa Vimercate
Via Mazzini n. 15, Vimercate
Mostra Telefono
Chiama
CONTATTA

