Negozio via Sestri, Genova (zona Sestri Ponente)
€ 5.500 al meseLocale commerciale vetrinato via Sestri-Genova
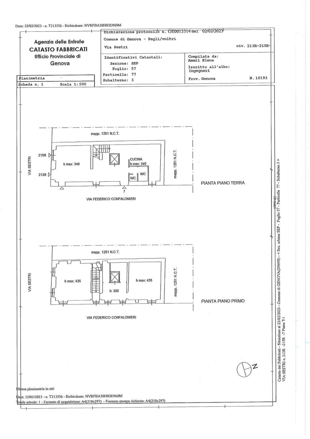
Proponiamo in locazione un locale commerciale situato nella centralissima Via Sestri. L’immobile, già adibito ad attività di somministrazione, è dotato di canna fumaria ed è stato oggetto di una recentissima ristrutturazione; risulta pertanto conforme a tutte le normative vigenti per qualsiasi attività di vendita al pubblico, inclusi servizi igienici per disabili e impianti a norma. L’immobile gode di una delle migliori posizioni di Via Sestri, con due ampie vetrine affacciate direttamente sulla via, che garantiscono massima visibilità e luminosità. Il locale si sviluppa su due livelli: al piano strada si trova l’area vendita affacciata sulla via, mentre nella parte retrostante sono presenti la zona cucina e doppi servizi igienici. Tramite una comoda scala o un piccolo ascensore si accede al piano superiore, dove sono presenti due sale aperte al pubblico e un ampio locale ad uso ripostiglio/spogliatoio. E' possibile all'esterno utilizzare uno spazio per i tavolini.
Dati principali
| Riferimento | ID2997361 |
| Data annuncio | 21/01/2026 |
| Contratto | Affitto |
| Tipologia | Negozio |
| Superficie | 160 m2 |
| Piano | 2 totali |
| Uso immobile | Commerciale |
Costi
| Prezzo | 5.500 € al mese |
Efficienza energetica
| Riscaldamento | Autonomo |
| Classe energetica | F |
| Indice di prestazione energetica (IPE) | 149.95 kWh/m2 anno |
Planimetrie
Indirizzo e mappa
via Sestri, Genova - quartiere Sestri Ponente
Inserzionista
Chiama
CONTATTA


