Rustico Cascina Ciabot, San Giorgio Canavese
€ 50.000Rustico in vendita
Nel cuore della tranquilla località di Cortereggio, nel comune di San Giorgio Canavese, si trova un affascinante rustico in vendita. Questa proprietà, risalente al 1900, offre una superficie di 340 mq, distribuiti su un piano basso, e rappresenta un'opportunità unica per chi desidera vivere in un contesto storico e caratteristico. L'immobile, di categoria civile, è composto da otto locali, che possono essere personalizzati secondo le proprie esigenze e preferenze. La struttura conserva elementi architettonici tipici dell'epoca, offrendo un'atmosfera autentica e accogliente. La posizione strategica permette di godere della tranquillità della campagna piemontese, pur essendo a breve distanza dai principali servizi e collegamenti. Questa proprietà è ideale per chi cerca un progetto di ristrutturazione che valorizzi il fascino del passato, creando uno spazio abitativo unico e personalizzato.
Dati principali
| Riferimento | 61153614 |
| Data annuncio | 13/12/2025 |
| Contratto | Vendita |
| Tipologia | Rustico |
| Superficie | 340 m2 |
| Locali | più di 5 (3 camere da letto, 5 altro), 1 bagno |
| Piano | 1 di 2 totali |
Costi
| Prezzo | 50.000 € |
| Prezzo al m2 | 147 €/m2 |
Efficienza energetica
| Anno costruzione | 1900 |
| Riscaldamento | Autonomo |
| Tipo Alimentazione Riscaldamento | Gpl |
| Classe energetica | G |
| Indice di prestazione energetica (EP GL, REN) | 256.89 kWh/m3 anno |
| Indice di prestazione energetica (EP GL, NREN) | 256.89 kWh/m3 anno |
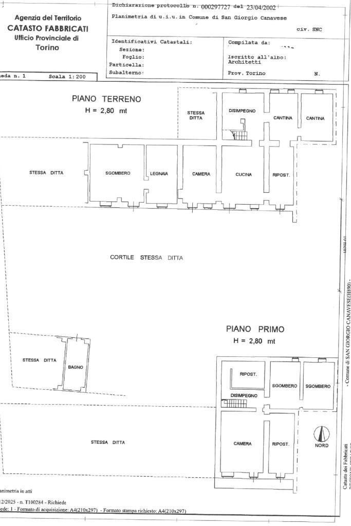
Planimetrie
Video
Indirizzo e mappa
Cascina Ciabot, San Giorgio Canavese
Calcolo mutuo
Prezzo di vendita:
Anticipo
20,00
Mutuo
80,00
Tasso: -+
Rata: 143 al mese
I risultati sono una stima indicativa basata sui dati inseriti e non costituiscono un’offerta finanziaria.
Inserzionista
Chiama
CONTATTA

