Porzione di casa Via Sogliano, Savignano sul Rubicone
€ 235.000Porzione di bifamiliare in vendita
SAVIGNANO SUL RUBICONE: zona Castelvecchio, porzione di bifamiliare con giardino di proprietà, sviluppata su unico livello al piano terra, garage e cantina di proprietà.
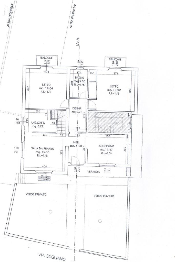
La soluzione si sviluppa interamente al piano terra, offrendo un'ampia e comoda distribuzione degli ambienti. La zona d'ingresso ci accoglie in una luminosa sala da pranzo separata dalla cucina che garantisce un'ottima organizzazione degli spazi.
Il corridoio ben distribuito conduce a tre ampie camere da letto, di cui due matrimoniali con accesso diretto al balcone che si affacciano sul retro dell'abitazione ed un bagno fnestrato con doccia.
Tramite scale interne o rampa esterna si raggiunge il piano seminterrato composto da un ripostiglio, un ulteriore bagno di servizio finestrato con doccia, un garage e una cantina di proprietà.
Conclude l'immobile un giardino privato, ideale per chi ama il verde e desidera uno spazio all'aperto per attività all'aria aperta. Sul retro, una corte pavimentata offre un'area funzionale per cene all'aperto o momenti di svago.
Rappresenta una solida opportunità per chi desidera vivere in una zona tranquilla, senza rinunciare ai servizi del centro cittadino.
Per qualsiasi informazione o per fissare un appuntamento chiama: 3938307255 o 0541942614 oppure manda un'email: fohr4
La soluzione si sviluppa interamente al piano terra, offrendo un'ampia e comoda distribuzione degli ambienti. La zona d'ingresso ci accoglie in una luminosa sala da pranzo separata dalla cucina che garantisce un'ottima organizzazione degli spazi.
Il corridoio ben distribuito conduce a tre ampie camere da letto, di cui due matrimoniali con accesso diretto al balcone che si affacciano sul retro dell'abitazione ed un bagno fnestrato con doccia.
Tramite scale interne o rampa esterna si raggiunge il piano seminterrato composto da un ripostiglio, un ulteriore bagno di servizio finestrato con doccia, un garage e una cantina di proprietà.
Conclude l'immobile un giardino privato, ideale per chi ama il verde e desidera uno spazio all'aperto per attività all'aria aperta. Sul retro, una corte pavimentata offre un'area funzionale per cene all'aperto o momenti di svago.
Rappresenta una solida opportunità per chi desidera vivere in una zona tranquilla, senza rinunciare ai servizi del centro cittadino.
Per qualsiasi informazione o per fissare un appuntamento chiama: 3938307255 o 0541942614 oppure manda un'email: fohr4
Dati principali
| Riferimento | 61150358 |
| Data annuncio | 06/12/2025 |
| Contratto | Vendita |
| Tipologia | Porzione di casa |
| Superficie | 138 m2 |
| Locali | 4 (3 camere da letto, 1 altro), 2 bagni |
| Piano | 3 totali |
Costi
| Prezzo | 235.000 € |
| Prezzo al m2 | 1.703 €/m2 |
Efficienza energetica
| Anno costruzione | 1968 |
| Riscaldamento | Autonomo |
| Tipo Alimentazione Riscaldamento | Metano |
| Classe energetica | Immobile esente da certificazione energetica |
Planimetrie
Video
Indirizzo e mappa
Via Sogliano, Savignano sul Rubicone
Calcolo mutuo
Prezzo di vendita:
Anticipo
20,00
Mutuo
80,00
Tasso: -+
Rata: 672 al mese
I risultati sono una stima indicativa basata sui dati inseriti e non costituiscono un’offerta finanziaria.
Inserzionista
Chiama
CONTATTA

