Casa indipendente VIA ROSTA 169, Rivoli
€ 375.000
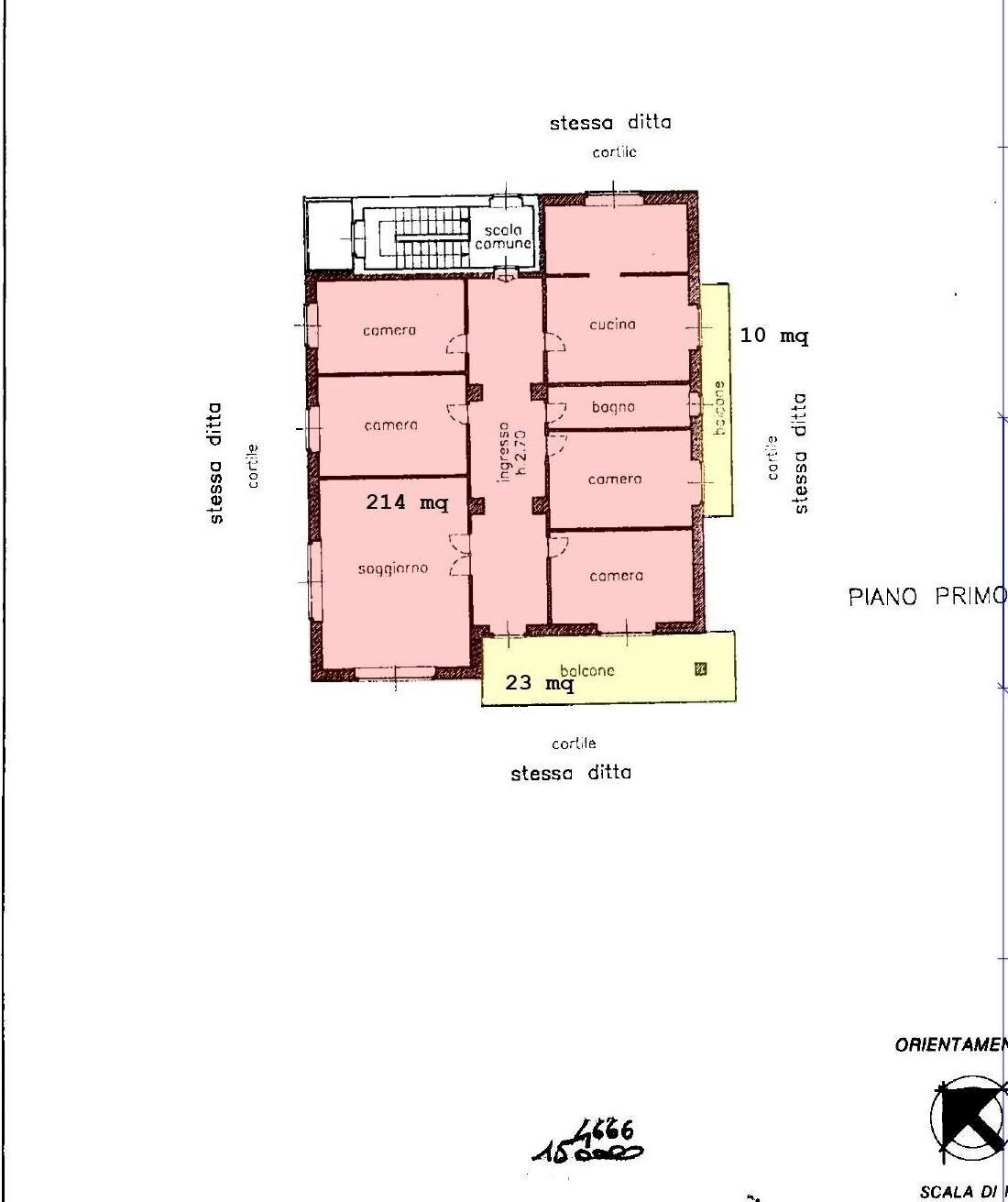
COMPAGNIA IMMOBILIARE propone In vendita a RIVOLI, in una zona tranquilla e ben servita, spaziosa CASA INDIPENDENTE, disposta su 2 livelli, più un ampio Sottotetto (pari superfice del piano) costruita nel 1960, in buon stato di conservazione, circondata da giardini e terreno pertinente (dove presente un Forno in muratura) per un totale di 1200 mq., Dotata di Terrazzi, un' area Magazzino, un' Autorimessa ed uno Spazio Interrato. Favorevole l'esposizione a 4 lati, che garantisce una bella luminosità naturale durante tutto il giorno. Attualmente la soluzione si compone di 2 unità indipendenti di c.a. mq 220 ciascuna con accesso diretto dal vano scala. Tuttavia, la generosa superficie totale, consente la possibilità di ricavare 3/4 distinte unità. Le planimetrie allegate, permettono di analizzare gli spazi attualmente disponibili. (Sono stati effettuati dei render del prima e dopo, per dare un'idea della fattibilità) A questo proposito, i nostri professionisti sono disponibili ad offrirvi diverse opportunità di distribuzione degli spazi interni ottimizzandone il potenziale e personalizzando il taglio secondo le esigenze ed i gusti personali. Dunque questo immobile offre un'ottima opportunità di investimento per chi desidera una soluzione spaziosa e versatile. Vi invitiamo a visionare questa vantaggiosa occasione per famiglie con propensione all'aggregazione che amano il contatto con la natura senza rinunciare alla comodità grazie alla vicinanza ai servizi pubblici essenziali LA SOLUZIONE SI PRESTA, INOLTRE, PER LA REALIZZAZIONE DI CASA FAMIGLIA O SIMILARI.
Dati principali
| Riferimento | 913664 |
| Data annuncio | 05/12/2025 |
| Contratto | Vendita |
| Tipologia | Casa indipendente |
| Superficie | 440 m2 |
| Locali | più di 5 (10 altro), cucina abitabile |
| Piano | Su più livelli, 2 totali |
| Tipo di costruzione | Signorile |
| Occupato | Libero |
| Box auto | Singolo |
| Numero posti auto | 4 |
| Arredamento | Assente |
Caratteristiche
Costi
| Prezzo | 375.000 € |
| Prezzo al m2 | 852 €/m2 |
Efficienza energetica
| Stato | Da ristrutturare |
| Riscaldamento | Autonomo |
| Tipo Alimentazione Riscaldamento | Gasolio |
| Classe energetica | Immobile esente da certificazione energetica |
Planimetrie
Indirizzo e mappa
VIA ROSTA
169, Rivoli
Annuncio senza mappa,
prova a chiedere la posizione all'inserzionista
prova a chiedere la posizione all'inserzionista
Calcolo mutuo
Prezzo di vendita:
Anticipo
20,00
Mutuo
80,00
Tasso: -+
Rata: 1.072 al mese
I risultati sono una stima indicativa basata sui dati inseriti e non costituiscono un’offerta finanziaria.
Inserzionista

Compagnia Immobiliare Grugliasco
Viale Gramsci, 58, Grugliasco
Mostra Telefono
Chiama
CONTATTA

