Attività Commerciale Via Vittorio Veneto, Siracusa
€ 287.500
Ampio basso commerciale con annesso mini-appartamento in vendita in Via Vittorio Veneto, Ortigia
Un immobile unico nel cuore del centro storico di Siracusa
Nel cuore di Ortigia, a pochi passi dal mare e dai principali luoghi di interesse, proponiamo in vendita un ampio basso commerciale di 110 mq con ulteriore locale di 60 mq accatastato come appartamento.
Limmobile si trova in Via Vittorio Veneto, una delle vie più suggestive del centro storico di Siracusa, ed è la soluzione ideale per chi cerca uno spazio polifunzionale nel cuore dellisola.
Ampi spazi e architettura caratteristica
Il locale principale è composto da un grande ambiente, reso armonioso da un elegante arco in muratura che suddivide lo spazio in due ampi vani collegati.
Grazie alla luminosità naturale e alla versatilità degli ambienti, il basso si presta perfettamente a diverse destinazioni duso, tra cui:
Ristorante o bistrot;
Ufficio open space;
Showroom o negozio nel centro storico.
Mini-appartamento annesso con doppio ingresso
Collegato al locale principale tramite due porte interne, il secondo ambiente di 60 mq è attualmente accatastato come unità abitativa popolare.
La sua configurazione permette facilmente di cambiarne la destinazione duso, trasformandolo in:
Cucina o area di servizio per unattività ristorativa;
Magazzino o laboratorio;
Mini-appartamento indipendente, grazie ai due ingressi separati dal cortile condominiale e alla finestra con affaccio interno.
Da restaurare, con grandi potenzialità di valorizzazione
Entrambi i locali sono da restaurare, ma conservano il fascino autentico dei bassi storici di Ortigia, con le caratteristiche volte in pietra e unatmosfera daltri tempi.
La struttura si presta perfettamente a un progetto di riqualificazione commerciale o residenziale, ideale per chi desidera investire nel centro storico di Siracusa.
Un investimento polifunzionale nel cuore di Ortigia
Questa è unoccasione unica per investitori e imprenditori, che potranno realizzare:
una grande attività commerciale con deposito annesso,
un locale ristorativo con cucina dedicata,
oppure una piccola abitazione perfetta come casa vacanze.
Al momento non sono disponibili foto degli interni più dettagliate, poiché limmobile è utilizzato come magazzino, ma sono possibili visite su appuntamento per chi desidera scoprirne le potenzialità.
Un immobile unico nel cuore del centro storico di Siracusa
Nel cuore di Ortigia, a pochi passi dal mare e dai principali luoghi di interesse, proponiamo in vendita un ampio basso commerciale di 110 mq con ulteriore locale di 60 mq accatastato come appartamento.
Limmobile si trova in Via Vittorio Veneto, una delle vie più suggestive del centro storico di Siracusa, ed è la soluzione ideale per chi cerca uno spazio polifunzionale nel cuore dellisola.
Ampi spazi e architettura caratteristica
Il locale principale è composto da un grande ambiente, reso armonioso da un elegante arco in muratura che suddivide lo spazio in due ampi vani collegati.
Grazie alla luminosità naturale e alla versatilità degli ambienti, il basso si presta perfettamente a diverse destinazioni duso, tra cui:
Ristorante o bistrot;
Ufficio open space;
Showroom o negozio nel centro storico.
Mini-appartamento annesso con doppio ingresso
Collegato al locale principale tramite due porte interne, il secondo ambiente di 60 mq è attualmente accatastato come unità abitativa popolare.
La sua configurazione permette facilmente di cambiarne la destinazione duso, trasformandolo in:
Cucina o area di servizio per unattività ristorativa;
Magazzino o laboratorio;
Mini-appartamento indipendente, grazie ai due ingressi separati dal cortile condominiale e alla finestra con affaccio interno.
Da restaurare, con grandi potenzialità di valorizzazione
Entrambi i locali sono da restaurare, ma conservano il fascino autentico dei bassi storici di Ortigia, con le caratteristiche volte in pietra e unatmosfera daltri tempi.
La struttura si presta perfettamente a un progetto di riqualificazione commerciale o residenziale, ideale per chi desidera investire nel centro storico di Siracusa.
Un investimento polifunzionale nel cuore di Ortigia
Questa è unoccasione unica per investitori e imprenditori, che potranno realizzare:
una grande attività commerciale con deposito annesso,
un locale ristorativo con cucina dedicata,
oppure una piccola abitazione perfetta come casa vacanze.
Al momento non sono disponibili foto degli interni più dettagliate, poiché limmobile è utilizzato come magazzino, ma sono possibili visite su appuntamento per chi desidera scoprirne le potenzialità.
Dati principali
| Riferimento | TTR101-1787 |
| Data annuncio | 17/11/2025 |
| Contratto | Vendita |
| Tipologia | Attività Commerciale |
| Superficie | 170 m2 |
| Locali | 2 (2 altro), 1 bagno |
| Piano | Terra, 1 totali |
| Occupato | Libero |
Costi
| Prezzo | 287.500 € |
| Prezzo al m2 | 1.691 €/m2 |
Efficienza energetica
| Riscaldamento | Assente |
| Tipo Alimentazione Riscaldamento | Altro |
| Classe energetica | G |
| Indice di prestazione energetica (IPE) | - |
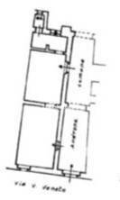
Planimetrie
Indirizzo e mappa
Via Vittorio Veneto, Siracusa
Annuncio senza mappa,
prova a chiedere la posizione all'inserzionista
prova a chiedere la posizione all'inserzionista
Calcolo mutuo
Prezzo di vendita:
Anticipo
20,00
Mutuo
80,00
Tasso: -+
Rata: 822 al mese
I risultati sono una stima indicativa basata sui dati inseriti e non costituiscono un’offerta finanziaria.
Inserzionista
Think Tank Realtor
Via Antioco 10, Siracusa
Mostra Telefono
Mostra Cellulare
Chiama
CONTATTA

