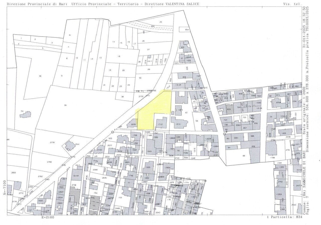
Terreno agricolo Via Vito Donato Bianco, Sammichele di Bari
€ 340.000Agricolo a Sammichele di Bari
Sammichele di Bari, su strada principale a pochi passi dal centro, proponiamo terreno edificabile in zona B1 di circa mq 2400. Il tutto sviluppa una cunatura di circa 12000 metri cubi. FD Immobiliare Casamassima
Dati principali
| Riferimento | 4925 |
| Data annuncio | 04/11/2025 |
| Contratto | Vendita |
| Tipologia | Terreno agricolo |
| Superficie | 2400 m2 |
| Piano | 1 totali |
Costi
| Prezzo | 340.000 € |
| Prezzo al m2 | 142 €/m2 |
Efficienza energetica
| Classe energetica | Immobile esente da certificazione energetica |
Planimetrie
Indirizzo e mappa
Via Vito Donato Bianco, Sammichele di Bari
Calcolo mutuo
Prezzo di vendita:
Anticipo
20,00
Mutuo
80,00
Tasso: -+
Rata: 972 al mese
I risultati sono una stima indicativa basata sui dati inseriti e non costituiscono un’offerta finanziaria.
Inserzionista

FD IMMOBILIARE
via Bari 70/D, Casamassima
Mostra Telefono
Mostra Cellulare
Chiama
CONTATTA

