Locale Commerciale Via Don Giovanni Verita', Ferrara
€ 620 al mese
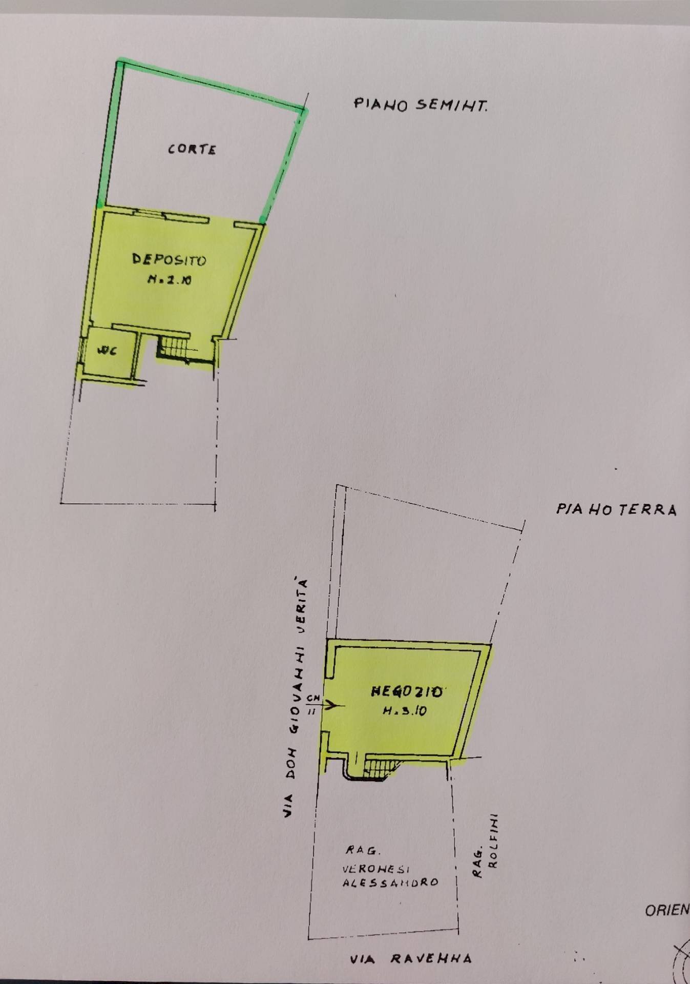
AC233 - Inizio VIA COMACCHIO (adiacente Chiesa di San Giorgio). disponibile da Aprile 2026 (con possibilità di consegna anticipata), locale commerciale fronte strada, con ottima visibilità e comodo parcheggio adiacente, di totali 60 mq disposti su piano terra e seminterrato dotato di bagno ed esclusivo scoperto privato. Tutte le utenze autonome, climatizzato. Il locale si presta ad essere utilizzato anche come studio professionale o ufficio. La parte a piano terra è dotata di una vetrina fronte strada ed è di 28 mq, la parte nel seminterrato di 28 mq, dà accesso al bagno ed allo scoperto esclusivo. Classe energetica "F" - indice 258,36. . 620
Dati principali
| Riferimento | AC233 |
| Data annuncio | 06/11/2025 |
| Contratto | Affitto |
| Tipologia | Locale Commerciale |
| Superficie | 70 m2 |
| Locali | 2 (2 altro), 1 bagno |
| Piano | Terra |
Costi
| Prezzo | 620 € al mese |
Efficienza energetica
| Stato | Buono |
| Riscaldamento | Autonomo |
| Classe energetica | F |
| Indice di prestazione energetica (IPE) | 258 kWh/m2 anno |
Planimetrie
Indirizzo e mappa
Via Don Giovanni Verita', Ferrara
Annuncio senza mappa,
prova a chiedere la posizione all'inserzionista
prova a chiedere la posizione all'inserzionista
Inserzionista
Chiama
CONTATTA


