Negozio Via Agnese Pasta 34, Melzo
€ 85.000
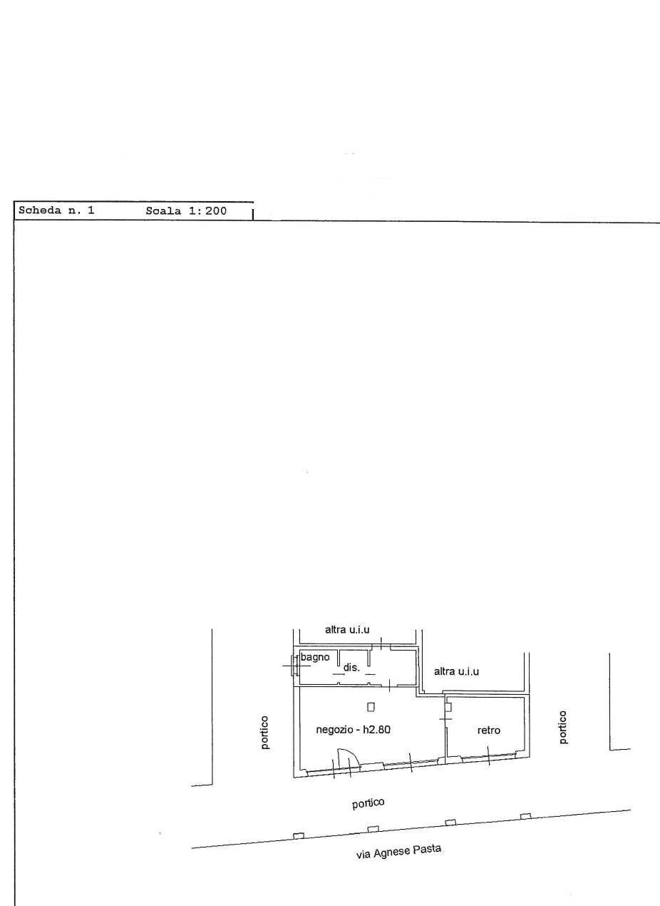
Melzo: in prossimità del centro storico ma comodo con i parcheggi, si vende negozio con tre vetrine di 60 mq di recente costruzione. In ottimo stato. LIBERO SUBITO. 85.000,00. Per ulteriori informazioni contattare il seguente recapito telefonico 02/9552248 oppure scrivete a [email protected] MELPUM CASA nasce dall' entusiasmo e professionalità di CRISTIAN FAINI, GEOMETRA ed AGENTE IMMOBILIARE DA OLTRE 25 ANNI a Melzo e nell'hinterland Milanese, con particolare attenzione al mercato immobiliare della Martesana. MELPUM CASA vi aspetta in uno spazio accogliente e professionale a MELZO,IN VIA CASANOVA 9, MELPUM CASA vi offrirà consulenza qualificata ed affidabilità nel campo dell'edilizia residenziale, commerciale ed industriale. Se per comprare CASA devi anche VENDERE il TUO immobile non esitare a contattarci per una valutazione completamente gratuita e senza vincoli, chiamaci subito per una visita senza impegno.
Dati principali
| Riferimento | 11880/1 |
| Data annuncio | 09/09/2025 |
| Contratto | Vendita |
| Tipologia | Negozio |
| Superficie | 60 m2 |
| Locali | 2 (2 altro), 1 bagno |
| Piano | Terra, 2 totali |
| Occupato | Libero |
| Box auto | Assente |
| Arredamento | Assente |
Costi
| Prezzo | 85.000 € |
| Prezzo al m2 | 1.417 €/m2 |
Efficienza energetica
| Stato | Ottimo |
| Riscaldamento | Autonomo |
| Classe energetica | G |
| Indice di prestazione energetica (IPE) | 161 kWh/m2 anno |
Planimetrie
Indirizzo e mappa
Via Agnese Pasta
34, Melzo
Annuncio senza mappa,
prova a chiedere la posizione all'inserzionista
prova a chiedere la posizione all'inserzionista
Calcolo mutuo
Prezzo di vendita:
Anticipo
20,00
Mutuo
80,00
Tasso: -+
Rata: 243 al mese
I risultati sono una stima indicativa basata sui dati inseriti e non costituiscono un’offerta finanziaria.
Inserzionista

MELPUMCASA
Casanova,9, Melzo
Mostra Telefono
Chiama
CONTATTA

