Appartamento Piazza Plebiscito, Sulmona
€ 400.000
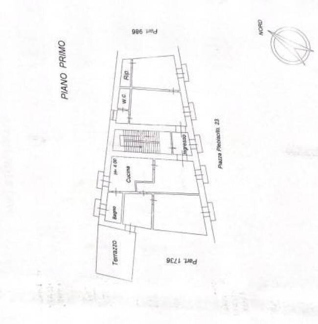
Porzione di edificio in vendita nel cuore di Sulmona Splendido palazzo del 1900, situato nel cuore del centro storico di Sulmona, a pochi passi dalle principali attrazioni turistiche della città. Si propone in vendita una porzione (posta al primo, secondo,soffitta e cantina) di un palazzo storico di notevole prestigio situato nel cuore di Sulmona, precisamente in piazza Plebiscito. Risalente ai primi 900, questa struttura rappresenta un'opportunità unica per chi desidera posseder un pezzo di storia in una delle città più affascinanti d'Abruzzo. L'immobile si sviluppa su superficie complessiva di circa 500 mq, offrendo spazi ampi e caratterizzati da elementi architettonici d'epoca. Il primo piano è attualmente adibito ad ambulatorio medico ma facilmente trasformabile in appartamento è composto da 6 vani 2 bagni, ripostiglio, con terrazzo e 2 balconi nella parte posteriore e 4 balconi con affaccio meraviglioso sulla chiesa di Santa Maria della Tomba. Al secondo piano troviamo un appartamento in cui nella zona giorno troviamo soggiorno, salone, cucina, sala di pranzo con camino e uscita sul balcone, e dall'altra parte 2 camere da letto con bagno. Inoltre, sono presenti una cantina recentemente ristrutturata, un magazzino e una soffitta, che offrono ulteriori spazi di stoccaggio e consentono di mantenere l'ambiente sempre ordinato e organizzato. La posizione centrale e il carattere prestigioso del palazzo lo rendono un'ottima opportunità per coloro che desiderano un immobile di prestigio, perfetto per una famiglia numerosa o per chi ama ospitare amici e parenti in un ambiente elegante e raffinato. Possibilità di acquistare separatamente le unità immobiliari. Non esitare a contattarci per maggiori informazioni e per organizzare una visita.
Dati principali
| Riferimento | CBI038-962-301609 |
| Data annuncio | 03/09/2025 |
| Contratto | Vendita |
| Tipologia | Appartamento |
| Superficie | 500 m2 |
| Locali | più di 5 (4 camere da letto, 8 altro), 6 bagni, cucina abitabile |
| Piano | Su più livelli, 3 totali |
| Tipo di costruzione | Signorile |
| Occupato | Libero |
| Box auto | Assente |
| Arredamento | Assente |
Caratteristiche
Costi
| Prezzo | 400.000 € |
| Prezzo al m2 | 800 €/m2 |
Efficienza energetica
| Stato | Buono |
| Riscaldamento | Autonomo |
| Classe energetica | Immobile esente da certificazione energetica |
Planimetrie
Indirizzo e mappa
Piazza Plebiscito, Sulmona
Annuncio senza mappa,
prova a chiedere la posizione all'inserzionista
prova a chiedere la posizione all'inserzionista
Calcolo mutuo
Prezzo di vendita:
Anticipo
20,00
Mutuo
80,00
Tasso: -+
Rata: 1.144 al mese
I risultati sono una stima indicativa basata sui dati inseriti e non costituiscono un’offerta finanziaria.
Inserzionista
Chiama
CONTATTA


