Locale Commerciale via aldo moro 4, Cassano Magnago
€ 1.170 al mese
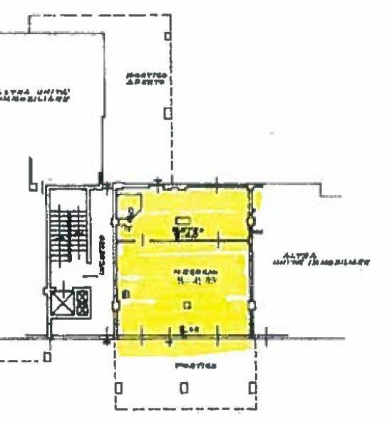
CASSANO MAGNAGO Affittasi negozio di 90 mq in posizione strategica a Cassano Magnago, situato su una strada di forte passaggio, ideale per chi cerca visibilità e comodità. Limmobile dispone di due ampie vetrine fronte strada che offrono grande luminosità e attrattiva commerciale. Internamente si compone di un ampio spazio frontale di 48,30 mq e un retro di 13,87 mq, al piano interrato, accessibile tramite scala interna, si trovano un locale accessorio di 55 mq e il bagno. Completamente ristrutturato nel 2023, il negozio è dotato di riscaldamento autonomo con pompa di calore canalizzata e aria condizionata, con finiture moderne e pavimento in laminato. Ledificio, risalente al 1971, è ben mantenuto. Allesterno sono disponibili parcheggi pubblici, mentre sul retro si trova unarea in cui è possibile posteggiare compatibilmente con la disponibilità. Le spese condominiali sono contenute. Unoccasione ideale per chi vuole dare al proprio business la visibilità che merita, in uno spazio già pronto e curato. Euro 14.000,00 + IVA annui esclusi i consumi e le spese condominiali. In fase di certificazione
Dati principali
| Riferimento | U13230 |
| Data annuncio | 18/07/2025 |
| Contratto | Affitto |
| Tipologia | Locale Commerciale |
| Superficie | 70 m2 |
| Locali | 3 (3 altro), 1 bagno |
| Piano | Su più livelli |
| Occupato | Libero |
Caratteristiche
Costi
| Prezzo | 1.170 € al mese |
Efficienza energetica
| Stato | Buono |
| Riscaldamento | Autonomo |
| Tipo Alimentazione Riscaldamento | Altro |
| Classe energetica | Immobile esente da certificazione energetica |
Planimetrie
Indirizzo e mappa
via aldo moro
4, Cassano Magnago
Annuncio senza mappa,
prova a chiedere la posizione all'inserzionista
prova a chiedere la posizione all'inserzionista
Inserzionista
Chiama
CONTATTA


