Capannone Guido Rossa, Borgo San Lorenzo
€ 2.616.000
Immobile industriale con abitazione e showroom Borgo San Lorenzo (FI)Complesso indipendente e recintato Superficie totale oltre 2.400 mq
In vendita in Toscana, nel comune di Borgo San Lorenzo (FI), complesso immobiliare industriale con residenza e showroom, completamente recintato e chiuso da passi carrai automatizzati. Una soluzione unica per chi cerca funzionalità produttiva, visibilità commerciale e comfort abitativo, con la possibilità di integrare attività e residenza in ununica proprietà.
Composizione dellimmobile:Edificio principale (Fabbrica - cat. catastale D/8):
Superficie: 1.853 m²
Riscaldamento con caldaia a biomassa, alimentata da scarti di lavorazione del legno
Ampi spazi produttivi e di stoccaggio
Ottimo stato manutentivo
Unità abitativa (recentemente ristrutturata con Superbonus 110%):
Superficie: 157 m² al primo piano
Composta da 8 vani (ideale come residenza o uffici direzionali)
Dotata di impianto fotovoltaico
Showroom/esposizione:
Superficie: 400 m²
Perfetto per esposizione prodotti, area commerciale o open space multifunzionale
Altre caratteristiche:
Contesto riservato e indipendente
Riscaldamento efficiente a biomassa
Impianti aggiornati
Ampia corte esterna e aree di manovra
Ideale per azienda artigianale, manifatturiera, logistica o commerciale
Posizione:Situato in posizione strategica nel cuore del Mugello, facilmente raggiungibile da Firenze, con buona accessibilità per mezzi pesanti e collegamenti rapidi alle principali arterie stradali.
Per maggiori informazioni, planimetrie, documentazione tecnica e visite:
Giuseppe Giglio - 327.326.62.10
In vendita in Toscana, nel comune di Borgo San Lorenzo (FI), complesso immobiliare industriale con residenza e showroom, completamente recintato e chiuso da passi carrai automatizzati. Una soluzione unica per chi cerca funzionalità produttiva, visibilità commerciale e comfort abitativo, con la possibilità di integrare attività e residenza in ununica proprietà.
Composizione dellimmobile:Edificio principale (Fabbrica - cat. catastale D/8):
Superficie: 1.853 m²
Riscaldamento con caldaia a biomassa, alimentata da scarti di lavorazione del legno
Ampi spazi produttivi e di stoccaggio
Ottimo stato manutentivo
Unità abitativa (recentemente ristrutturata con Superbonus 110%):
Superficie: 157 m² al primo piano
Composta da 8 vani (ideale come residenza o uffici direzionali)
Dotata di impianto fotovoltaico
Showroom/esposizione:
Superficie: 400 m²
Perfetto per esposizione prodotti, area commerciale o open space multifunzionale
Altre caratteristiche:
Contesto riservato e indipendente
Riscaldamento efficiente a biomassa
Impianti aggiornati
Ampia corte esterna e aree di manovra
Ideale per azienda artigianale, manifatturiera, logistica o commerciale
Posizione:Situato in posizione strategica nel cuore del Mugello, facilmente raggiungibile da Firenze, con buona accessibilità per mezzi pesanti e collegamenti rapidi alle principali arterie stradali.
Per maggiori informazioni, planimetrie, documentazione tecnica e visite:
Giuseppe Giglio - 327.326.62.10
Dati principali
| Riferimento | 2182 |
| Data annuncio | 07/06/2025 |
| Contratto | Vendita |
| Tipologia | Capannone |
| Superficie | 1853 m2 |
| Occupato | Libero |
Costi
| Prezzo | 2.616.000 € |
| Prezzo al m2 | 1.412 €/m2 |
Efficienza energetica
| Stato | Parzialmente ristrutturato |
| Tipo Alimentazione Riscaldamento | Altro |
| Classe energetica | G |
| Indice di prestazione energetica (IPE) | 421 kWh/m2 anno |
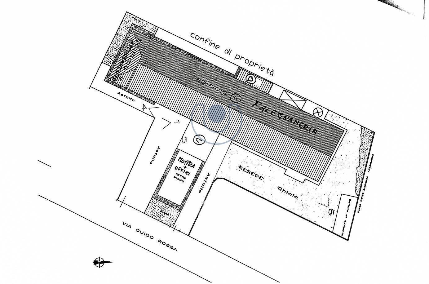
Planimetrie
Indirizzo e mappa
Guido Rossa, Borgo San Lorenzo
Annuncio senza mappa,
prova a chiedere la posizione all'inserzionista
prova a chiedere la posizione all'inserzionista
Calcolo mutuo
Prezzo di vendita:
Anticipo
20,00
Mutuo
80,00
Tasso: -+
Rata: 7.482 al mese
I risultati sono una stima indicativa basata sui dati inseriti e non costituiscono un’offerta finanziaria.
Inserzionista

Piemontimmobili Giaveno
Piazza Molines, 25, Giaveno
Mostra Telefono
Mostra Cellulare
Chiama
CONTATTA

