
Per vedere altre immagini,
prova a chiederle all'inserzionista
prova a chiederle all'inserzionista
Terreno edificabile Mapello
Trattativa riservata
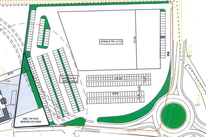
- MAPELLO ZONA CENTRO COMMERCIALE Area edificabile di mq 20.000 a destinazione terziario e commerciale situata in adiacenza al centro commerciale di Mapello in area commerciale densamente sviluppata. La proprietà si colloca in posizione facilmente individuabile all'interno di polo commerciale e artigianale fortemente sviluppato. L'area è oggetto di ambito di trasformazione, la superficie edificabile è di mq 6.000 con altezza massima 10 metri di cui mq 600 superficie di vendita. L'ambito di trasformazione prevede la cessione di circa 4.000 mq di area per sviluppo comunale (aree per ampliamento tangenziale, rotatoria e parcheggio esterno) e la realizzazione di 4.000 mq di parcheggi. E' possibile eventuale cambio di destinazione in artigianale. Trattative Riservate CLASSE ENERGETICA: Immobile non soggetto all'obbligo di certificazione energetica Vai all'annuncio: https://www.studio-valle.com/it/mapello-3/ STUDIO IMMOBILIARE VALLE Flaminia S.r.l. Real estate and investments 24121 Bergamo - Italy V.le Vitt. Emanuele II n. 65 tel +39 035 231588 WhatsApp: +39 3920190070 www.studio-valle.com [email protected] Facebook: StudioImmobiliareValle Twitter: ValleRealEstate Skype: Valle-Real-Estate
Dati principali
| Riferimento | MAPELLO20000 |
| Data annuncio | 22/05/2025 |
| Contratto | Vendita |
| Tipologia | Terreno edificabile |
| Superficie | 20000 m2 |
| Occupato | Libero |
Costi
| Prezzo | Trattativa riservata |
Efficienza energetica
| Tipo Alimentazione Riscaldamento | Altro |
| Classe energetica | Immobile esente da certificazione energetica |
Planimetrie
Indirizzo e mappa
Mapello
Annuncio senza mappa,
prova a chiedere la posizione all'inserzionista
prova a chiedere la posizione all'inserzionista
Inserzionista

Studio Immobiliare Valle
Viale Vittorio Emanuele II 65, Bergamo
Mostra Telefono
Chiama
CONTATTA