Casa indipendente Via Cristoforo Colombo 7, Rocca d'Arazzo
€ 40.000
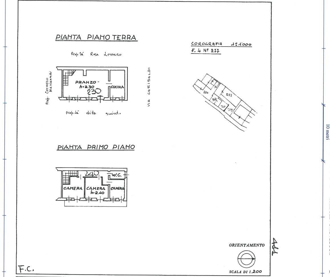
CASA SINGOLA CON GIARDINO, in zona centrale Costruita nel 1950, la proprietà offre un'ottima opportunità di personalizzazione grazie al suo stato di conservazione da ristrutturare. La casa si sviluppa su due livelli, con un ingresso indipendente che conduce al piano terra composto da un ampio soggiorno luminoso, una cucina abitabile e un bagno. Al piano superiore sono presenti tre camere da letto spaziose e ben illuminate, ideali per una famiglia numerosa o per chi desidera avere uno spazio dedicato alla propria attività.L'immobile è dotato di impianto di riscaldamento autonomo a radiatori o pannelli radianti, alimentato a metano, che garantisce un'ottima efficienza energetica e un alto grado di comfort. Gli infissi e le finestre in vetro e legno donano un tocco rustico e autentico alla casa. La casa gode di una doppia esposizione a sud-ovest, che garantisce un'ottima luminosità e una vista panoramica sulla natura circostante. Un balcone presente al piano superiore permette di godere del fresco delle serate estive e di ammirare il paesaggio.Completano la proprietà un giardino privato, ideale per trascorrere momenti di relax immersi nel verde, e un terreno circostante che offre la possibilità di realizzare un orto o di creare uno spazio per animali domestici. Inoltre, la casa dispone di un box auto singolo, perfetto per parcheggiare l'auto in sicurezza.In sintesi, questa casa indipendente in vendita a Rocca d'Arazzo rappresenta un'ottima opportunità per chi desidera una soluzione abitativa che offre tranquillità e privacy, con la possibilità di personalizzarla secondo le proprie esigenze.
Dati principali
| Riferimento | 9024 |
| Data annuncio | 15/05/2025 |
| Contratto | Vendita |
| Tipologia | Casa indipendente |
| Superficie | 150 m2 |
| Locali | 5 (3 camere da letto, 2 altro), 1 bagno, cucina abitabile |
| Piano | Su più livelli, 2 totali |
| Occupato | Libero |
| Box auto | Singolo |
| Arredamento | Assente |
Caratteristiche
Costi
| Prezzo | 40.000 € |
| Prezzo al m2 | 267 €/m2 |
| Spese Riscaldamento | € 200,00/anno |
Efficienza energetica
| Stato | Da ristrutturare |
| Riscaldamento | Autonomo |
| Classe energetica | E |
| Indice di prestazione energetica (IPE) | - |
Planimetrie
Indirizzo e mappa
Via Cristoforo Colombo
7, Rocca d'Arazzo
Annuncio senza mappa,
prova a chiedere la posizione all'inserzionista
prova a chiedere la posizione all'inserzionista
Calcolo mutuo
Prezzo di vendita:
Anticipo
20,00
Mutuo
80,00
Tasso: -+
Rata: 114 al mese
I risultati sono una stima indicativa basata sui dati inseriti e non costituiscono un’offerta finanziaria.
Inserzionista

Fiminter Immobili
Corso Stati Uniti 57, Torino
Mostra Telefono
Chiama
CONTATTA

