Capannone Via per Robecco 8, Magenta
€ 485.000
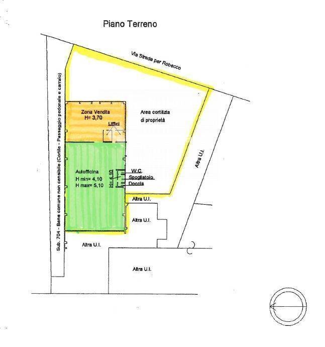
Magenta strada per Robecco proponiamo in esclusiva Capannone commerciale/artigianale fronte strada di forte passaggio di 550 mq circa disposto su un unico livello. Il capannone è composto da una parte commerciale di circa 170 mq e una parte adibita ad autofficina di circa 380 mq con servizi, ripostiglio e uffici. La soluzione è stata ristrutturata di recente (2014) ed è dotata di antifurto, impianato di aria condizionata, impianto di riscaldamento autonomo e vetrine antisfondamento. Completa la proprietà un'area esterna recintata di circa 800 mq. Massima visibilità.
Dati principali
| Riferimento | Capannone Commerciale/Artigianale Strada per Robecco 8, Magenta |
| Data annuncio | 15/05/2025 |
| Contratto | Vendita |
| Tipologia | Capannone |
| Superficie | 550 m2 |
| Occupato | Libero |
Costi
| Prezzo | 485.000 € |
| Prezzo al m2 | 882 €/m2 |
Efficienza energetica
| Stato | Parzialmente ristrutturato |
| Tipo Alimentazione Riscaldamento | Altro |
| Classe energetica | Immobile esente da certificazione energetica |
Planimetrie
Video
Indirizzo e mappa
Via per Robecco
8, Magenta
Annuncio senza mappa,
prova a chiedere la posizione all'inserzionista
prova a chiedere la posizione all'inserzionista
Calcolo mutuo
Prezzo di vendita:
Anticipo
20,00
Mutuo
80,00
Tasso: -+
Rata: 1.387 al mese
I risultati sono una stima indicativa basata sui dati inseriti e non costituiscono un’offerta finanziaria.
Inserzionista

Gruppocasa Magenta
Via Roma, 24, Magenta
Mostra Telefono
Chiama
CONTATTA

