Capannone Via Fosso Foreste, Montesilvano
€ 2.800 al mese
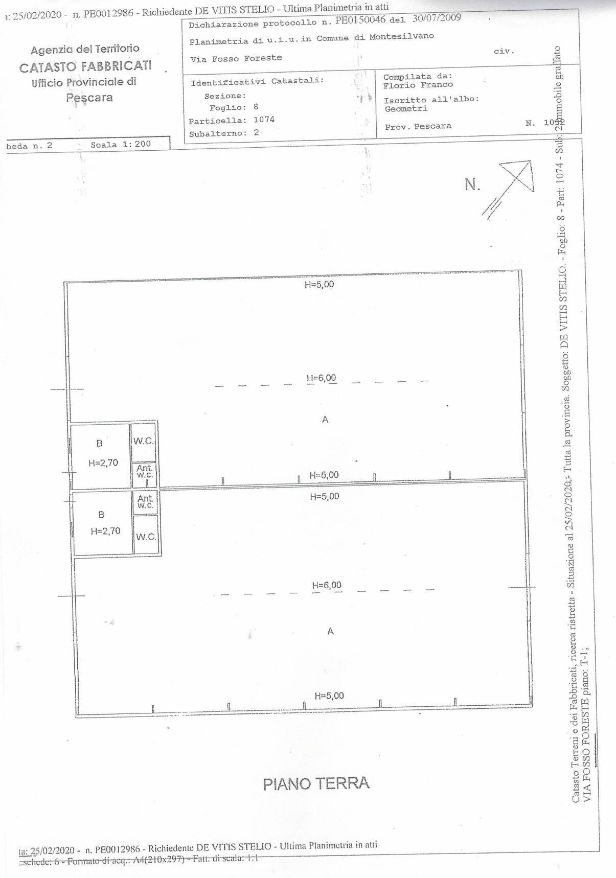
Affittasi a Montesilvano in via Fosso Foreste zona industriale ad alto traffico capannone artigianale di mq 450 con all'interno un piccolo ufficio e bagno di nuova realizzazione con area di scarico e carico non esclusiva. Affitto solo ed esclusivamente per uso deposito.
Dati principali
| Riferimento | 19-1 |
| Data annuncio | 15/05/2025 |
| Contratto | Affitto |
| Tipologia | Capannone |
| Superficie | 450 m2 |
| Occupato | Libero |
Costi
| Prezzo | 2.800 € al mese |
Efficienza energetica
| Stato | Buono |
| Tipo Alimentazione Riscaldamento | Altro |
| Classe energetica | Immobile esente da certificazione energetica |
Planimetrie
Indirizzo e mappa
Via Fosso Foreste, Montesilvano
Annuncio senza mappa,
prova a chiedere la posizione all'inserzionista
prova a chiedere la posizione all'inserzionista
Inserzionista

DI.GI. Immobiliare
Via San Domenico 1/2 - 1/3, Montesilvano
Mostra Telefono
Mostra Cellulare
Chiama
CONTATTA

