Terreno agricolo Taverna, Ravenna

€ 80.000
393 m2
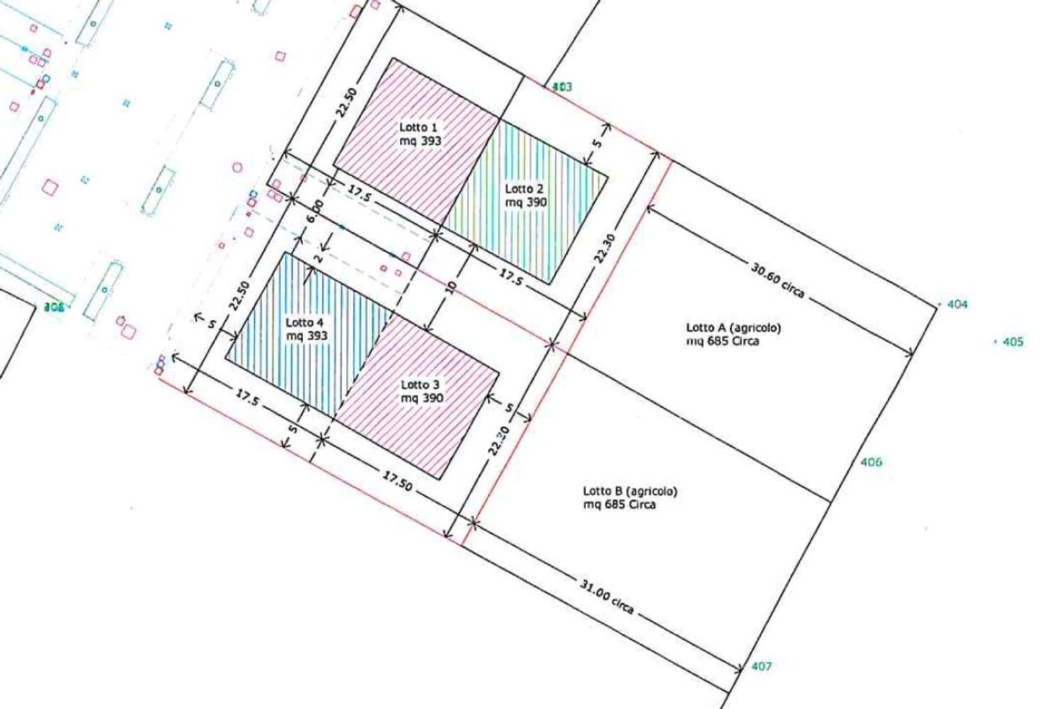
Vendiamo a San Pietro in Trento, in zona di nuova urbanizzazione 4 lotti di terreno edificabili con superfice di 400 mq ciascuno dove è possibile realizzare villetta unifamiliare o bifamiliare di complessivi mq 235 oltre accessori. Possibilità di acquistare 2 lotti di terreno agricolo di circa 680 mq. Maggiori informazioni in ufficio.
Dati principali
Riferimento BRB148
Data annuncio 13/05/2025
Contratto Vendita
Tipologia Terreno agricolo
Superficie 393 m2
Costi
Prezzo 80.000 €
Prezzo al m2 204 €/m2
Efficienza energetica
Tipo Alimentazione Riscaldamento Altro
Classe energetica Immobile esente da certificazione energetica
Planimetrie
Barbieri immobiliare Srl
Viale Volturno 27, Cervia
 Mostra Telefono +39 0544 971245
Visualizza altri annunci di

terreni agricoli in vendita a Ravenna


Comune di Ravenna

:
Vendita terreni agricoli Ravenna
Vendita terreni Ravenna
Agenzie immobiliari Ravenna

Provincia di Ravenna

:
Terreni agricoli in vendita provincia Ravenna
Vendita terreni provincia Ravenna
Indirizzo e mappa
Taverna, Ravenna
Annuncio senza mappa,
prova a chiedere la posizione all'inserzionista
Calcolo mutuo
Prezzo di vendita: 
Anticipo
20,00
Mutuo
80,00
Tasso: -+
Rata: 229 al mese
I risultati sono una stima indicativa basata sui dati inseriti e non costituiscono un’offerta finanziaria.