Casa indipendente Castellazzo Bormida
€ 159.000
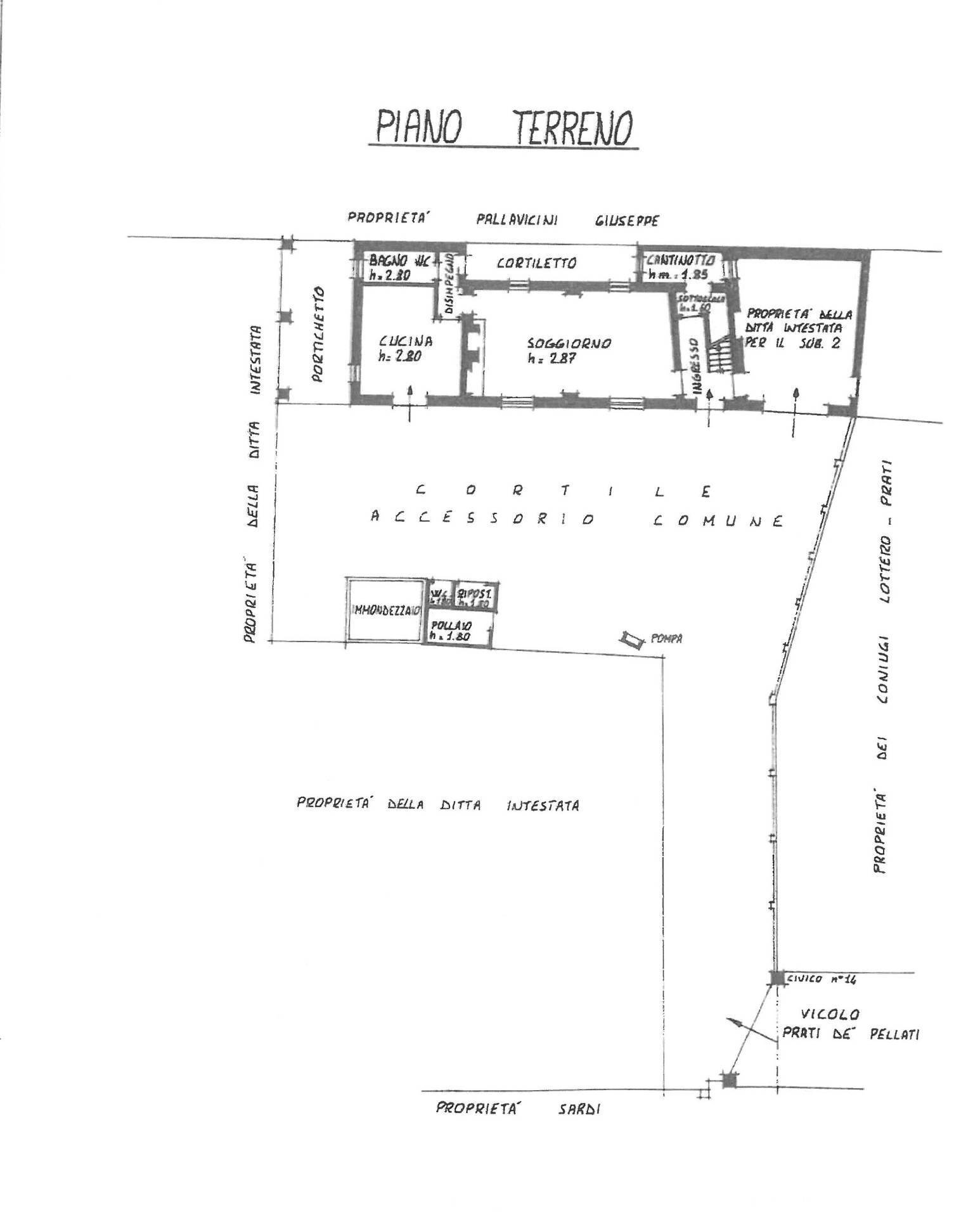
ALESSANDRIA CASTELLAZZO BORMIDA: In zona centrale comoda a tutti i servizi ma estremamente tranquilla proponiamo CASA INDIPENTENTE su 3 lati disposta su 2 piani abitativi, composta da: Piani terra salone doppio, cucina abitabile, bagno e CORTILETTO ANTERIORE. Al primo piano 4 camere da letto, 2 bagni (di cui uno in camera). Presente sottotetto, 2 BOX AUTO esterni e ampio TERRENO privato. .159 mila TRATT. RIF. 375 CLASSE "F" kWh/m2 336,05 PER INFO E VISITE CONTATTARE GIERRE IMMOBILIARE 0131218521
Dati principali
| Riferimento | 375 |
| Data annuncio | 13/05/2025 |
| Contratto | Vendita |
| Tipologia | Casa indipendente |
| Superficie | 220 m2 |
| Locali | più di 5 (5 camere da letto, 2 altro), 2 bagni, cucina abitabile |
| Piano | Su più livelli |
| Tipo di costruzione | Media |
| Occupato | Libero |
| Box auto | Singolo |
Caratteristiche
Costi
| Prezzo | 159.000 € |
| Prezzo al m2 | 723 €/m2 |
Efficienza energetica
| Stato | Buono |
| Riscaldamento | Autonomo |
| Classe energetica | F |
| Indice di prestazione energetica (IPE) | 336 kWh/m2 anno |
Planimetrie
Indirizzo e mappa
Castellazzo Bormida
Annuncio senza mappa,
prova a chiedere la posizione all'inserzionista
prova a chiedere la posizione all'inserzionista
Calcolo mutuo
Prezzo di vendita:
Anticipo
20,00
Mutuo
80,00
Tasso: -+
Rata: 455 al mese
I risultati sono una stima indicativa basata sui dati inseriti e non costituiscono un’offerta finanziaria.
Inserzionista

Eurocasa Gierre Immobiliare
Corso Acqui 83, Alessandria
Mostra Telefono
Mostra Cellulare
Chiama
CONTATTA

