Box viale Beato Angelo Carletti, Cuneo (zona Donatello)
€ 35.000CUNEO Via Beato Angelo Carletti
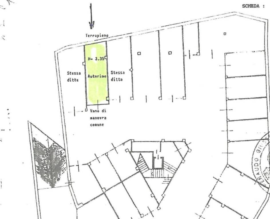
Autorimessa al piano interrato ideale per camper di 3,00 mt x 9,00 mt , altezza 3,30 mt
Dati principali
| Riferimento | ID2626871 |
| Data annuncio | 06/05/2025 |
| Contratto | Vendita |
| Tipologia | Box |
| Superficie | 28 m2 |
Costi
| Prezzo | 35.000 € |
| Prezzo al m2 | 1.250 €/m2 |
Efficienza energetica
| Classe energetica | Immobile esente da certificazione energetica |
Indirizzo e mappa
viale Beato Angelo Carletti, Cuneo - quartiere Donatello
Annuncio senza mappa,
prova a chiedere la posizione all'inserzionista
prova a chiedere la posizione all'inserzionista
Calcolo mutuo
Prezzo di vendita:
Anticipo
20,00
Mutuo
80,00
Tasso: -+
Rata: 100 al mese
I risultati sono una stima indicativa basata sui dati inseriti e non costituiscono un’offerta finanziaria.
Inserzionista

COLOMBERO Immobiliare
Via F. Cavallotti 1, Cuneo
Mostra Telefono
Chiama
CONTATTA