Capannone strada Provinciale Padana Inferiore, Tortona
€ 119.000Area di 6100 mq con capannone di 837 mq e abitazione di 120
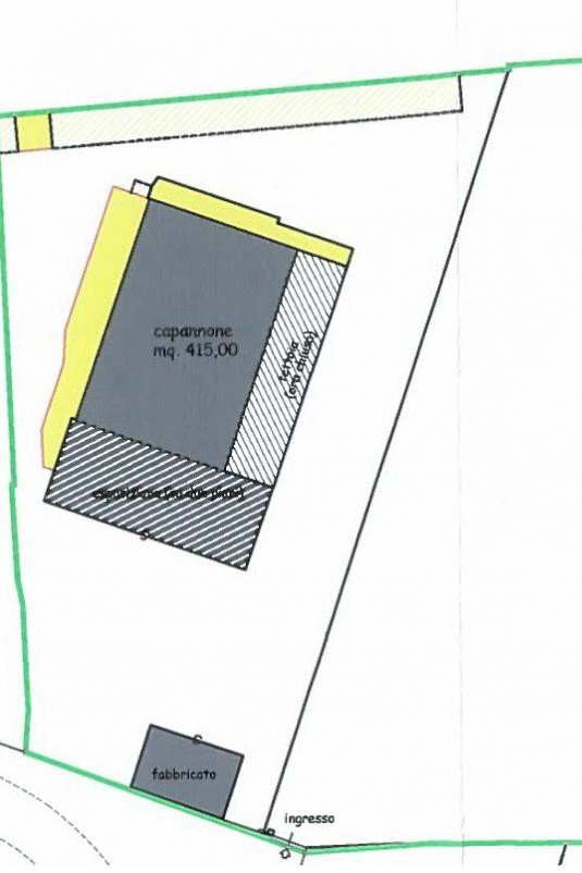
A pochi km da Tortona, importante snodo logistico in provincia di Alessandria, per la precisione a Pontecurone proponiamo in vendita un compendio immobiliare composto da un capannone con una superficie complessiva di 837 mq, una casa indipendente su 2 livelli per un totale 120 mq ca, il tutto su un'area di 6.100 mq. Gli immobili sono in discrete condizioni e necessitano di una ristrutturazione. Nel caso si optasse per una totale demolizione e ricostruzione la superficie edificatoria totale è di 2.308 mq. Tutto a soli 119.000 €
Dati principali
| Riferimento | 201744 |
| Data annuncio | 22/11/2017 |
| Contratto | Vendita |
| Tipologia | Capannone |
| Superficie | 1567 m2 |
| Piano | 2 totali |
| Uso immobile | Commerciale ed Industriale |
Costi
| Prezzo | 119.000 € |
| Prezzo al m2 | 76 €/m2 |
Efficienza energetica
| Riscaldamento | Assente |
| Classe energetica | Immobile esente da certificazione energetica |
Planimetrie
Indirizzo e mappa
strada Provinciale Padana Inferiore, Tortona
Annuncio senza mappa,
prova a chiedere la posizione all'inserzionista
prova a chiedere la posizione all'inserzionista
Calcolo mutuo
Prezzo di vendita:
Anticipo
20,00
Mutuo
80,00
Tasso: -+
Rata: 340 al mese
I risultati sono una stima indicativa basata sui dati inseriti e non costituiscono un’offerta finanziaria.
Inserzionista

Bassi immobiliare
Via Appiani 25 angolo via Zucchi 25, Monza
Mostra Telefono
Chiama
CONTATTA

