Box via Moncalvo, Chieri
€ 15.000BOX SINGOLO pressi Corso Torino
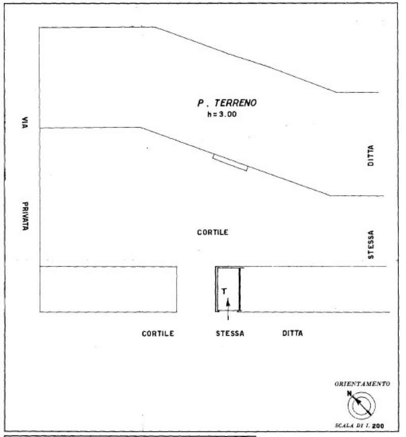
INCONTRI E CASA 011 701853 AGENZIA DA CONTATTARE PER MAGGIORI INFORMAZIONI - Chieri in Via Moncalvo angolo corso Torino, proponiamo in vendita box auto singolo di medie dimensioni, di facile accessibilità al piano terreno, all’interno di un cortile condominiale con cancello automatizzato e relativo telecomando. Larghezza porta di accesso circa 2,49 - larghezza interna circa 2,55 - lunghezza 4,50. Categoria C/6 - rendita catastale 75,61.
Dati principali
| Riferimento | INCONTRI - Chieribox |
| Data annuncio | 14/03/2025 |
| Contratto | Vendita |
| Tipologia | Box |
| Superficie | 13 m2 |
Costi
| Prezzo | 15.000 € |
| Prezzo al m2 | 1.154 €/m2 |
| Spese condominiali | € 3.3333333333333,00/mese |
Efficienza energetica
| Classe energetica | Immobile esente da certificazione energetica |
Planimetrie
Indirizzo e mappa
via Moncalvo, Chieri
Calcolo mutuo
Prezzo di vendita:
Anticipo
20,00
Mutuo
80,00
Tasso: -+
Rata: 43 al mese
I risultati sono una stima indicativa basata sui dati inseriti e non costituiscono un’offerta finanziaria.
Inserzionista

EVENTA
Via dei MIlle 42, Torino
Mostra Telefono
Chiama
CONTATTA

