Negozio strada provinciale Lanzo Torino, 50, Balangero
€ 89.000LOCALE CON PIAZZALE FRONTE STRADA
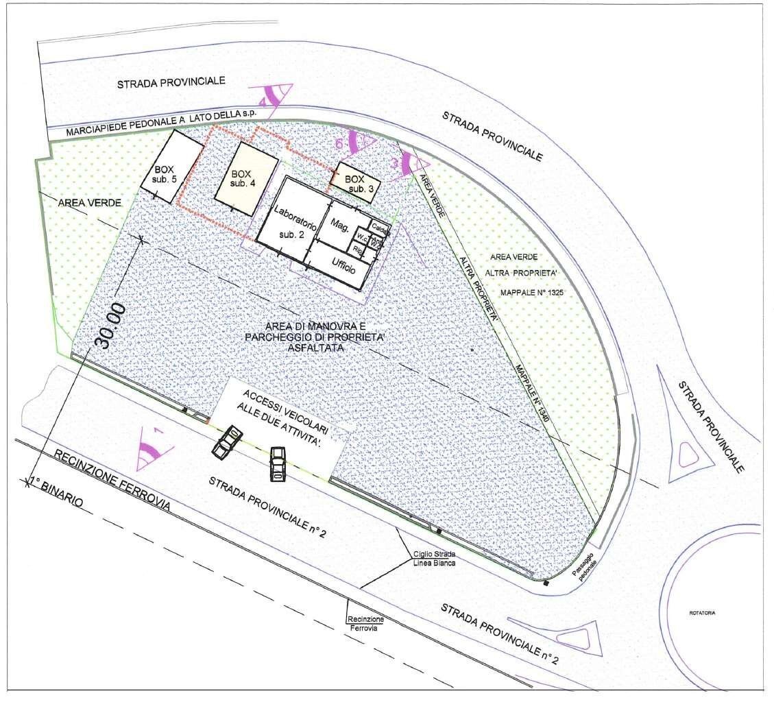
Nel comune di Balangero proponiamo in vendita un basso fabbricato con destinazione produttiva, commerciale, terziaria con grande piazzale fronte strada. Il locale è su unico piano di circa 90 mq con vetrine fronte strada ed è completamente da ristrutturare con le seguenti modalità: A. le opere di manutenzione ordinaria (Mo) B. le opere di manutenzione straordinaria (Ms) C. il restauro e risanamento conservativo D. Ristrutturazione edilizia con modesti ampliamenti F. Gli interventi di completamento I. Gli interventi di sostituzione edilizia (Se) CON LE SEGUENTI DESTINAZIONI: c. - destinazioni commerciali, terziarie e direzionali (C): C1) attività commerciali per la vendita al dettaglio di generi alimentari e non; C7) attività terziarie di servizio a gestione privata (uffici, studi professionali, istituti di credito ed assicurativi, agenzie di mediazione; sedi di Enti ed associazioni, servizi per l'igiene e la pulizia; rimesse per auto e caravan, pubblici esercizi, attività di servizio socio-assistenziali e sanitarie, spettacolo, lo sport e il tempo libero, il culto.) d. - destinazioni turistico-ricettive (T): ristorazione, bar. Oltre al locale ci sono tre magazzini / box per una consistenza totale di circa 70 mq. Piazzale privato antistante di 1.700 mq. ca
Dati principali
| Riferimento | V002339 |
| Data annuncio | 04/10/2024 |
| Contratto | Vendita |
| Tipologia | Negozio |
| Superficie | 90 m2 |
| Uso immobile | Commerciale |
Costi
| Prezzo | 89.000 € |
| Prezzo al m2 | 989 €/m2 |
Efficienza energetica
| Anno costruzione | 1970 |
| Riscaldamento | Assente |
| Classe energetica | Immobile esente da certificazione energetica |
Planimetrie
Indirizzo e mappa
strada provinciale Lanzo Torino, 50, Balangero
Calcolo mutuo
Prezzo di vendita:
Anticipo
20,00
Mutuo
80,00
Tasso: -+
Rata: 255 al mese
I risultati sono una stima indicativa basata sui dati inseriti e non costituiscono un’offerta finanziaria.
Inserzionista
Magistrelli Immobiliare
Corso Martiri della Libertà, 31, Ciriè
Mostra Telefono
Chiama
CONTATTA

