

Magazzino via Giuseppe Pellizza da Volpedo, Tortona
€ 105.000MAGAZZINO CON VETRINA VISIBILE ALL'INGRESSO DI TORTONA
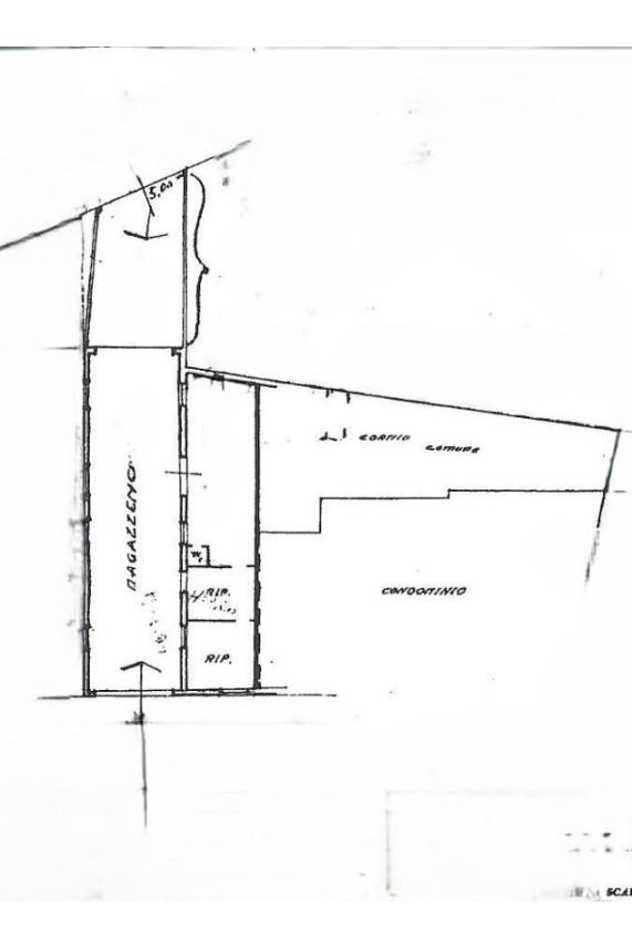
PEDEMONTE MASSIMO PROPONE MAGAZZINO/CAPANNONE CON VETRINA IN TORTONA – C.SO ROMITA - ZONA ESSELUNGA Immobile unico in posizione strategica ad alta visibilità, fronte strada all’ingresso di Tortona: zona di forte passaggio automobilistico a pochi passi da diversi servizi (scuole, supermercati, piazza del mercato, stazione ferroviaria, ristoranti, pizzerie, stazioni di servizio, negozi….) Il negozio, con vetrina fronte strada, comprende una superficie di 48 mq. Sul retro il negozio si collega ad un magazzino/capannone di 178 mq con ampia serranda che permette l’accesso anche di furgoni. Il magazzino è dotato di 2 ripostigli e di un servizio igienico. PREZZO DI VENDITA € 105.000,00 TRATTABILI CONTATTATECI per avere tutte le informazioni che desiderate tel. 0131/868477 – [email protected] CI TROVATE a Tortona in Via Emilia n. 54 (Piazza Malaspina) dal lunedì al venerdì dalle 9.00 alle 13.00 e dalle 15.00 alle 19.00 VISITATE IL NOSTRO SITO www.pedemontemassimomediatore.com per scoprire tutte le nostre soluzioni immobiliari
Dati principali
| Riferimento | 126/4 |
| Data annuncio | 12/07/2024 |
| Contratto | Vendita |
| Tipologia | Magazzino |
| Superficie | 226 m2 |
| Piano | 1 totali |
| Uso immobile | Commerciale ed Industriale |
Costi
| Prezzo | 105.000 € |
| Prezzo al m2 | 465 €/m2 |
Efficienza energetica
| Classe energetica | Immobile esente da certificazione energetica |
Planimetrie
Indirizzo e mappa
via Giuseppe Pellizza da Volpedo, Tortona
Calcolo mutuo
Prezzo di vendita:
Anticipo
20,00
Mutuo
80,00
Tasso: -+
Rata: 300 al mese
I risultati sono una stima indicativa basata sui dati inseriti e non costituiscono un’offerta finanziaria.
Inserzionista
Chiama
CONTATTA
