Villa a Schiera Massa Lombarda
€ 120.000
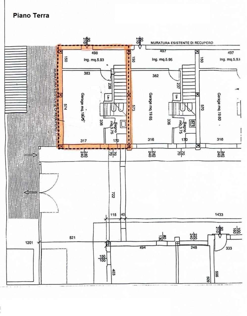
RIF. 0078 VENDIAMO VILLETTA A SCHIERA SU 3 LIVELLI COSTRUITA NEL 2008 E COMPOSTA DA: INGRESSO AL PIANO TERRA CON AMPIO DISIMPEGNO, SCALA CHE PORTA AL PIANO 1 DOVE TROVIAMO UNA SALA ANGOLO COTTURA DI MQ 27 ED UN BAGNO; SALENDO ARRIVIAMO NEL PIANO MANSARDATO DOVE TROVIAMO UNA CAMERA DA LETTO MATRIMONIALE CON TETTO IN LEGNO SERVITA DA BALCONE E RIPOSTIGLIO CON PREDISPOSIZIONE DI BAGNO. AL PIANO TERRA GARAGE E BAGNO LAVANDERIA. CAPLESTABILI MQ 112. RICHIESTA EURO 120.000,00
Dati principali
| Riferimento | CSI078 |
| Data annuncio | 05/07/2024 |
| Contratto | Vendita |
| Tipologia | Villa a Schiera |
| Superficie | 84 m2 |
Costi
| Prezzo | 120.000 € |
| Prezzo al m2 | 1.429 €/m2 |
Efficienza energetica
| Classe energetica | Immobile esente da certificazione energetica |
Planimetrie
Indirizzo e mappa
Massa Lombarda
Calcolo mutuo
Prezzo di vendita:
Anticipo
20,00
Mutuo
80,00
Tasso: -+
Rata: 343 al mese
I risultati sono una stima indicativa basata sui dati inseriti e non costituiscono un’offerta finanziaria.
Inserzionista

Consulenze e Servizi Immobiliari
Via Garibaldi 1, Massa Lombarda
Mostra Telefono
Chiama
CONTATTA

